Purpose of the flight and payload description

Tracking balloon launched in order to determinate that the flight trajectory of a balloon from the PEPP program (Planetary Entry Parachute Program) would pass over the White Sands Missile Range.

The payload consisted in an AMT-12 radiosonde, long duration batteries pack and a timer to sut down.

Details of the balloon flight

Balloon launched on: 8/29/1966
Launch site: Roswell Industrial Air Center, New Mexico, US  
Balloon launched by: Air Force Cambridge Research Laboratories (AFCRL)
Balloon manufacturer/size/composition: Zero Pressure Balloon 87 ft
End of flight (L for landing time, W for last contact, otherwise termination time): ??/??/1966

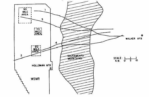
After launch the balloon take a northerly path and passed over the Sacramento Mountains. The balloon was finished in the White Sands Missile Range, in the so called "90 mile area".

At left a map of the trajectory of all support flights of the PEPP program. The flight path of this balloon is the marked with the number 3.

External references

If you consider this website interesting or useful, you can help me to keep it up and running with a small donation to cover the operational costs. Just the equivalent of the price of a cup of coffee helps a lot.



1774