Purpose of the flight and payload description

The objective of the flight was to measure the vertical wind shear vector in the lower stratosphere by means of special built device carried by a balloon in a long duration flight.

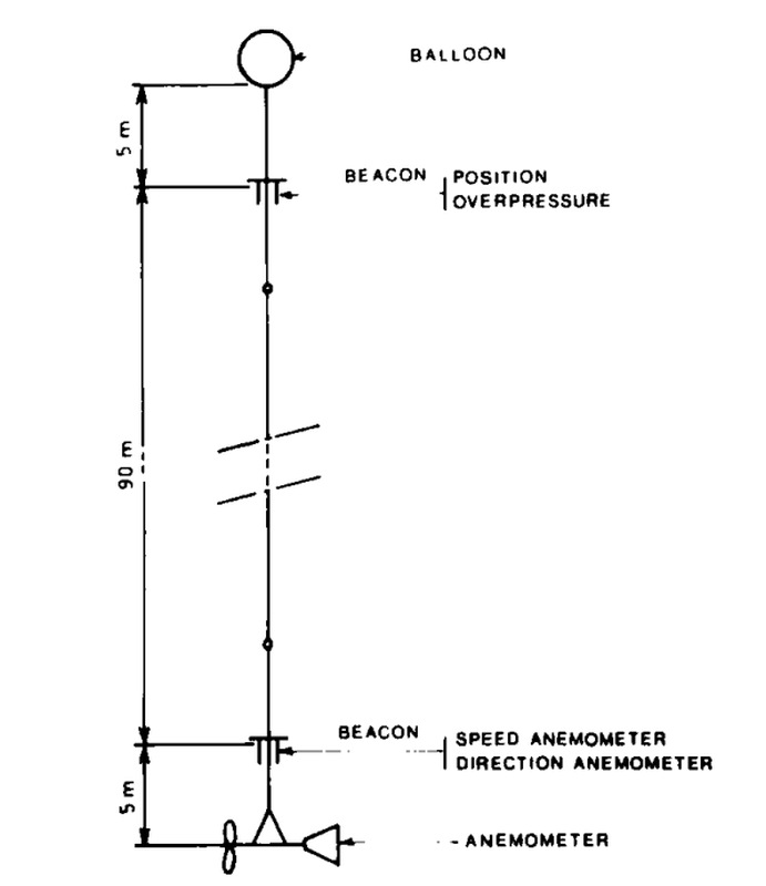
In the figure at left we can see an scheme (not to scale) of the balloon/payload arrangement. It consisted of a sensitive propeller anemometer hanging 100 meter under the carrier balloon and a vane which keeps it in the direction of the wind. This sensor measures the differential wind between its own level and the level of the balloon while two small crossed magnetometers are fastened to the frame of the anemometer and give the direction of the latter.

The device used to track and monitor the balloon in flight was a 15 MHz radio beacon. The telemetry system was based on pulse duration modulation: the beacon transmits in Morse code at a speed corresponding to the value of the parameter to be measured. The electronic equipment was powered by a solar generator. For this reason the balloons were launched at dawn and provided information only during the daytime. Separate records were drawn for each one-day flight period.

The vehicle used in the experiment was a superpressure constant-level balloon floating stably at a 200mb pressure level (around 11 km of altitude) in the lower stratosphere and performing quasi-horizontal and quasi-Lagrangian soundings of the atmospheric flow.

Details of the balloon flight

Balloon launched on: 6/23/1970 at 6:20 utc
Launch site: Paardefontein Tracking Station, Pretoria, Southafrica  
Balloon launched by: Centre National d'etudes Spatiales (CNES)
Balloon manufacturer/size/composition: Super Pressure Balloon  
End of flight (L for landing time, W for last contact, otherwise termination time): ??/??/1970

The balloon was launched at 6:20 utc on June 23, 1970, from the Paardefontein balloon launch base near Pretoria, Southafrica. This particular flight measured during the entire flight only the differential wind speed.

External references

If you consider this website interesting or useful, you can help me to keep it up and running with a small donation to cover the operational costs. Just the equivalent of the price of a cup of coffee helps a lot.



11625