El aeropuerto de Mildura (34°11'S, 142°10'E) ubicado en el limite sudeste del gran desierto Australiano, en el Estado de Victoria, fue establecido en 1942 como la mas grande instalación de entrenamiento para pilotos de caza de la Real Fuerza Aerea Australiana durante la Segunda Guerra Mundial. Luego de la contienda, sus instalaciones fueron usadas como campus de la Universidad de Melbourne, y posteriormente como centro de inmigrantes los cuales se encontraban mayormente empleados en los diferentes emprendimientos rurales de la zona.
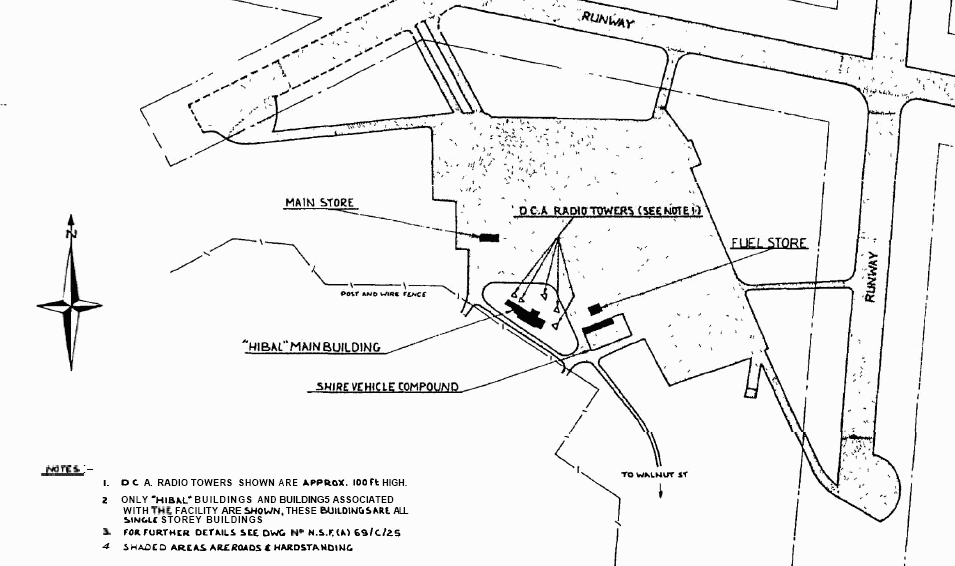
En 1960 la Comisión de Energía Atómica (AEC) de los Estados Unidos desarrolló un programa de muestreo de aire y partículas en la estratósfera del hemisferio sur para estudiar los niveles de elementos radiactivos inyectados en la atmósfera por las muchas experiencias efectuadas por ese país desde 1949 en el Océano Pacífico. Así, el Department of Supply (Departamento de Suministros o DOS) del Gobierno Australiano bajo dicha directiva y siguiendo un acuerdo firmado a niveles federales de gobierno, estableció en 1960 en Mildura, la Estación Australiana de Lanzamiento de Globos (ABLS) dentro de los terrenos y utilizando la infraestructura edilicia del aeropuerto. A la derecha se puede apreciar un plano de la planta de la estación (click para ampliar).
El programa fue conocido como HIBAL (High Altitude Balloons) y tal como ocurrió con el programa "Skyhook" de la Marina de los EEUU, a menudo esa denominación fue utilizada para referirse a cualquier vuelo de un globo en Australia independientemente de que formara parte del programa o no. La carga útil standard de estos vuelos consistía en un sistema de obtención de muestras de aire, cuyo peso era de cerca de 220 kgs y que operaba a alturas de vuelo predeterminadas de entre 40.000 y 135.000 pies, en misiones con una duracion fija de entre 20 minutos y 4 horas de vuelo nivelado. El volumen máximo de los globos utilizados en esa época era de 10.6 millones de pies cúbicos. A veces, se incluían en algunos vuelos cargas utiles y experimentos desarrollados por instituciones científicas de Australia, especialmente Universidades. Así se realizaron más de 600 lanzamientos hasta la finalización del acuerdo en 1966.
El regimen de vientos en la region se caracteriza por un flujo constante hacia el oeste entre Septiembre y Marzo y viceversa entre Abril y Agosto. Asimismo existe un periodo relativamente calmo llamado "turnaround" en Marzo y en Septiembre u Octubre, cuando es posible desarrollar vuelos de larga duracion con un desplazamiento minimo de los balones.
Para los lanzamientos, el programa contaba con un vehículo para sostener las cargas útiles, lo que permitía el uso del llamado método dinámico y un aeroplano Piper Aztec con un sistema de radio comando, un receptor/indicador para la baliza de localización del globo, telemetría de datos y un sistema de comunicación para efectuar enlaces con la base y con los vehículos Land Rover todo terreno utilizados en la busqueda y rescate de las gondolas. El personal a cargo de las operaciones de lanzamiento se componía esencialmente de residentes locales que fueron entrenados en el arte del balonismo científico.
Finalizada la primera fase del programa, en 1966 luego de un intercambio de notas a nivel gubernamental entre los EEUU y Australia, HIBAL sería extendido por otros tres años más. En esa época, grupos de investigación de diversas partes del mundo advirtiendo el potencial de Australia como sitio para el desarrollo del balonismo científico, comenzaron a mostrarse cada vez más interesados en efectuar vuelos desde diferentes partes del subcontinente. Su latitud combinada con su enorme extensión en dirección este-oeste volvían la isla particularmente atractiva para efectuar observaciones extendidas en el tiempo del centro galáctico y de fuentes astrofísicas sólo visibles desde allí.
Así fue que la actividad continuó aunque la iniciativa de obtención de muestras sufrió un fuerte recorte en la cantidad de vuelos realizados. Sin embargo, uno de las novedades del nuevo acuerdo era la extensión de las operaciones de lanzamiento a otros sitios además de Mildura, y la posibilidad de uso de las instalaciones e infraestructura por parte de otras agencias involucradas en la investigación atmosférica. En ese contexto cerca de 150 vuelos fueron llevados a cabo entre 1967 y 1980 desde Mildura y otros sitios alternativos como Longreach, Broken Hill y Alice Springs, transportando cargas utiles destinadas a efectuar experimentos en campos tales como astronomá infrarroja, de rayos X y rayos gamma y física de particulas cósmicas. Las misiones desde sitios alternativos eran llevadas a cabo a lo largo de campanas remotas cada año, utilizando los vehiculos y personal de la estación de Mildura los que eran enviados por tren o carretera hasta el sitio de lanzamiento.
A mediados de la decada de los 70's, problemas financieros amenazaron la continuidad de las operaciones en Mildura. En esa época, los Estados Unidos eran el único país que contribuía a la operación del sitio, aportando un tercio de los costos totales, mientras que Australia se hacía cargo del resto. Otros usuarios del complejo sólo pagaban los costos materiales de cada vuelo (globo, helio, etc). Un primer intento en 1976 de hacer que Gran Bretaña (en ese tiempo el segundo mayor usuario extranjero) pagara un tercio de los costos, se encontró con la negativa por parte del Science Research Council alegando falta de fondos para tal propósito. Para finales de la década, el Gobierno de Australia argumentando que estaba subsidiando a investigadores extranjeros cuyos paises de origen se negaban a colaborar para aliviar los costos de operación de la base, amenazó con cerrarla. Asimismo, la necesidad de modernizar el equipo (en uso desde 1960) fue otro factor que dejó en claro la necesidad de buscar fondos en el corto plazo.
Para 1980 Vic Hopper del Departamento de Física de la Universidad de Melbourne quién fue un entusiasta promotor del balonismo científico desde principios de los 60's hizo una propuesta a Gran Bretaña y Estados Unidos acerca de la posibilidad de compartir los costos de operación de la base entre sus cinco principales usuarios, tuvo una aceptacion inicial por parte de ambos gobiernos. La nueva propuesta apuntaba esencialmente a la inicial reticencia Británica aduciendo que los costos serían compartidos por más paises, ya que desde 1977 Japón y Alemania se habían convertido en usuarios regulares del sitio. El plan contemplaba la posibilidad de que cada nación ayudara a modernizar el equipamiento en uso, lo que fue bien recibido por los Estados Unidos y Alemania quienes se ofrecieron a proveer un nuevo vehículo de lanzamiento para cargas más pesadas, en tanto que Gran Bretaña ofreció donar un sistema de telemetría mejorado, en desuso desde la finalización del programa de cohetes Skylark. A pesar del empeño invertido, la propuesta nunca se materializó y debido a la falta de fondos el gobierno finalmente cerró la estación de Mildura en 1981.
En total, fueron lanzados desde allí unos 750 balones.
Mildura es en la actualidad el aeropuerto regional mas activo del estado de Victoria, recibiendo anualmente cerca de 180.000 pasajeros, a traves de 6800 vuelos regulares de linea. Adicionalmente una cantidad similar de vuelos llegan a la estacion aerea como parte de servicios de carga, vuelos charters, misiones de entrenamiento, ambulancias aereas, y paradas de reaprovisionamiento de aeroplanos tanto civiles como militares.
| Fecha | Hora | Duración del vuelo | Experimento | Sitio de caída de la carga útil o causa de la falla |
|---|---|---|---|---|
| 17/12/1960 | --- | ASHCAN | 46 millas al N de Mildura, Australia | |
| 20/12/1960 | --- | ASHCAN | 18 millas al NE de Mildura, Australia | |
| 9/1/1961 | --- | ASHCAN | 25 millas al NNO de Mildura, Australia | |
| 13/1/1961 | --- | ASHCAN | Cerca de Prungle Station, Victoria, Australia | |
| 17/1/1961 | --- | ASHCAN | 108 millas al O de Mildura, Australia | |
| 20/1/1961 | --- | ASHCAN | 76 millas al NNE de Mildura, Australia | |
| 2/2/1961 | --- | ASHCAN | 30 millas al NE de Mildura, Australia | |
| 7/2/1961 | --- | ASHCAN | 66 millas al ESE de Mildura, Australia | |
| 9/2/1961 | --- | ASHCAN | 47 millas al NE de Mildura, Australia | |
| 14/2/1961 | 5:40 local | --- | ASHCAN | 48 millas al NNO de Mildura, Australia |
| 16/2/1961 | --- | ASHCAN | 74 millas al SSO de Mildura, Australia | |
| 1/3/1961 | --- | ASHCAN | El globo continuo volando luego de la separación. Carga util aterrizó 42 millas al NE de Mildura, Australia | |
| 3/3/1961 | --- | ASHCAN | 91 millas al NNE de Mildura, Australia | |
| 7/3/1961 | --- | ASHCAN | 45 millas al N de Mildura, Australia | |
| 9/3/1961 | --- | ASHCAN | El globo continuo volando luego de la separación. Carga util aterrizó 33 millas al E de Mildura, Australia | |
| 16/3/1961 | 6:15 local | --- | ASHCAN | El globo continuo volando luego de la separación. Carga util aterrizó 92 millas al O de Mildura, Australia |
| 11/4/1961 | --- | ASHCAN | El globo continuo volando luego de la separación. Carga util aterrizó 60 millas al E de Mildura, Australia | |
| 12/4/1961 | --- | ASHCAN | Fallo del globo durante el lanzamiento | |
| 12/4/1961 | --- | ASHCAN | 97 millas al ESE de Mildura, Australia | |
| 14/4/1961 | 6:45 EST | --- | ASHCAN | Vuelo fallido. Carga util aterrizó 22 millas al SE de Mildura, Australia |
| 17/4/1961 | --- | ASHCAN | 57 millas al NE de Mildura, Australia | |
| 19/4/1961 | --- | ASHCAN | 38 millas al SE de Mildura, Australia | |
| 21/4/1961 | --- | ASHCAN | 81 millas al NE de Mildura, Australia | |
| 4/5/1961 | 7:10 EST | --- | ASHCAN | --- Sin Datos --- |
| 10/5/1961 | 7:33 EST | --- | ASHCAN | 14 millas de Garnpang Station, Victoria, Australia |
| 15/5/1961 | 7:26 EST | --- | ASHCAN | Cerca de Ivanhoe, Nueva Gales del Sur, Australia |
| 8/6/1961 | --- | ASHCAN | --- Sin Datos --- | |
| 13/6/1961 | --- | ASHCAN | --- Sin Datos --- | |
| 15/6/1961 | --- | ASHCAN | --- Sin Datos --- | |
| 20/6/1961 | --- | ASHCAN | --- Sin Datos --- | |
| 22/6/1961 | --- | ASHCAN | Desprendimiento prematuro de la carga útil que aterrizó cerca de Pooncarie, Australia. El globo siguió volando y no fue recuperado. | |
| 27/6/1961 | --- | ASHCAN | --- Sin Datos --- | |
| 4/7/1961 | --- | ASHCAN | --- Sin Datos --- | |
| 7/7/1961 | --- | ASHCAN | --- Sin Datos --- | |
| 11/7/1961 | --- | ASHCAN | --- Sin Datos --- | |
| 13/7/1961 | --- | ASHCAN | --- Sin Datos --- | |
| 18/7/1961 | 9:11 local | 5 h 19 m | ASHCAN | 37 millas al E de Hay, Australia |
| 1/8/1961 | --- | ASHCAN | --- Sin Datos --- | |
| 3/8/1961 | --- | ASHCAN | --- Sin Datos --- | |
| 8/8/1961 | --- | ASHCAN | --- Sin Datos --- | |
| 11/8/1961 | 7:02 local | 3 h | ASHCAN | En Till Till Station, Nueva Gales del Sur, Australia |
| 17/8/1961 | --- | ASHCAN | --- Sin Datos --- | |
| 7/9/1961 | --- | ASHCAN | --- Sin Datos --- | |
| 13/9/1961 | --- | ASHCAN | --- Sin Datos --- | |
| 15/9/1961 | 7:11 local | --- | ASHCAN | Fallo del globo a los 4.000 pies. La carga util cayo en una zona poblada de Mildura |
| 19/9/1961 | 6:47 EST | 3 h | ASHCAN + PLACAS FOTOGRAFICAS | 95 millas al E de Mildura, Victoria, Australia |
| 21/9/1961 | 6:37 EST | 3 h 30 m | ASHCAN + PLACAS FOTOGRAFICAS | 49 millas al NE de Mildura, Victoria, Australia |
| 27/9/1961 | 6:30 EST | 2 h 24 m | ASHCAN + PLACAS FOTOGRAFICAS | Explosion del globo. Carga util recuperada sin daños 58 millas al E de Mildura, Victoria, Australia |
| 3/11/1961 | --- | ASHCAN | --- Sin Datos --- | |
| 8/11/1961 | --- | ASHCAN | --- Sin Datos --- | |
| 10/11/1961 | --- | ASHCAN | --- Sin Datos --- | |
| 11/11/1961 | --- | ASHCAN | --- Sin Datos --- | |
| 20/11/1961 | --- | ASHCAN | --- Sin Datos --- | |
| 23/11/1961 | --- | ASHCAN | Fallo del globo a los 19.000 pies por congelamiento | |
| 27/11/1961 | --- | ASHCAN | --- Sin Datos --- | |
| 29/11/1961 | --- | ASHCAN | --- Sin Datos --- | |
| 30/11/1961 | --- | ASHCAN | --- Sin Datos --- | |
| 1/12/1961 | --- | ASHCAN | --- Sin Datos --- | |
| 4/12/1961 | --- | ASHCAN | --- Sin Datos --- | |
| 9/12/1961 | --- | ASHCAN | --- Sin Datos --- | |
| 11/12/1961 | --- | ASHCAN | --- Sin Datos --- | |
| 12/12/1961 | --- | ASHCAN | --- Sin Datos --- | |
| 18/12/1961 | --- | ASHCAN | Falla del sistema de terminacion. Carga util no recuperada | |
| 20/12/1961 | --- | ASHCAN | --- Sin Datos --- | |
| 18/1/1962 | --- | ASHCAN | --- Sin Datos --- | |
| 22/1/1962 | --- | ASHCAN | --- Sin Datos --- | |
| 24/1/1962 | --- | ASHCAN | --- Sin Datos --- | |
| 25/1/1962 | --- | ASHCAN | --- Sin Datos --- | |
| 2/2/1962 | --- | ASHCAN | --- Sin Datos --- | |
| 6/2/1962 | --- | ASHCAN | --- Sin Datos --- | |
| 8/2/1962 | --- | ASHCAN | --- Sin Datos --- | |
| 15/2/1962 | --- | ASHCAN | --- Sin Datos --- | |
| 16/2/1962 | --- | ASHCAN | --- Sin Datos --- | |
| 21/2/1962 | --- | ASHCAN | --- Sin Datos --- | |
| 3/3/1962 | --- | ASHCAN | --- Sin Datos --- | |
| 6/3/1962 | --- | ASHCAN | --- Sin Datos --- | |
| 8/3/1962 | --- | ASHCAN | --- Sin Datos --- | |
| 14/3/1962 | --- | ASHCAN | --- Sin Datos --- | |
| 16/3/1962 | --- | ASHCAN | --- Sin Datos --- | |
| 2/4/1962 | --- | ASHCAN | --- Sin Datos --- | |
| 5/4/1962 | --- | ASHCAN | --- Sin Datos --- | |
| 6/4/1962 | --- | ASHCAN | --- Sin Datos --- | |
| 10/4/1962 | --- | ASHCAN | --- Sin Datos --- | |
| 12/4/1962 | --- | ASHCAN | --- Sin Datos --- | |
| 17/4/1962 | --- | ASHCAN | --- Sin Datos --- | |
| 2/5/1962 | --- | ASHCAN | --- Sin Datos --- | |
| 4/5/1962 | --- | ASHCAN | --- Sin Datos --- | |
| 10/5/1962 | --- | ASHCAN | --- Sin Datos --- | |
| 11/5/1962 | --- | ASHCAN | --- Sin Datos --- | |
| 15/5/1962 | --- | ASHCAN | --- Sin Datos --- | |
| 24/5/1962 | --- | ASHCAN | --- Sin Datos --- | |
| 11/6/1962 | --- | ASHCAN | --- Sin Datos --- | |
| 13/6/1962 | --- | ASHCAN | --- Sin Datos --- | |
| 15/6/1962 | --- | ASHCAN | Explosion del globo | |
| 27/6/1962 | --- | ASHCAN | --- Sin Datos --- | |
| 28/6/1962 | --- | ASHCAN | --- Sin Datos --- | |
| 3/7/1962 | --- | ASHCAN | --- Sin Datos --- | |
| 10/7/1962 | --- | ASHCAN | --- Sin Datos --- | |
| 11/7/1962 | --- | ASHCAN | --- Sin Datos --- | |
| 27/7/1962 | --- | ASHCAN | --- Sin Datos --- | |
| 10/8/1962 | --- | ASHCAN | --- Sin Datos --- | |
| 14/8/1962 | --- | ASHCAN | --- Sin Datos --- | |
| 16/8/1962 | --- | ASHCAN | --- Sin Datos --- | |
| 31/8/1962 | --- | ASHCAN | --- Sin Datos --- | |
| 18/9/1962 | --- | ASHCAN | --- Sin Datos --- | |
| 20/9/1962 | --- | ASHCAN | --- Sin Datos --- | |
| 25/9/1962 | --- | ASHCAN | --- Sin Datos --- | |
| 28/9/1962 | --- | ASHCAN | Cerca de Yunta, Australia Meridional | |
| 10/10/1962 | --- | ASHCAN | --- Sin Datos --- | |
| 11/10/1962 | --- | ASHCAN | --- Sin Datos --- | |
| 15/10/1962 | --- | ASHCAN | --- Sin Datos --- | |
| 26/10/1962 | --- | ASHCAN | --- Sin Datos --- | |
| 1/11/1962 | --- | ASHCAN | --- Sin Datos --- | |
| 8/11/1962 | --- | ASHCAN | --- Sin Datos --- | |
| 13/11/1962 | --- | ASHCAN | --- Sin Datos --- | |
| 4/12/1962 | --- | ASHCAN | --- Sin Datos --- | |
| 6/12/1962 | --- | ASHCAN | --- Sin Datos --- | |
| 12/12/1962 | --- | ASHCAN | --- Sin Datos --- | |
| 13/12/1962 | 6:15 EST | --- | ASHCAN | Cerca de Kingston, Australia Meridional |
| 17/1/1963 | --- | ASHCAN | --- Sin Datos --- | |
| 22/1/1963 | --- | ASHCAN | 2 millas mar adentro de Cowell, en Spencer Gulf, Australia | |
| 24/1/1963 | --- | ASHCAN | --- Sin Datos --- | |
| 30/1/1963 | --- | ASHCAN | --- Sin Datos --- | |
| 5/2/1963 | --- | ASHCAN | --- Sin Datos --- | |
| 7/2/1963 | --- | ASHCAN | --- Sin Datos --- | |
| 12/2/1963 | --- | ASHCAN | --- Sin Datos --- | |
| 14/2/1963 | --- | ASHCAN | --- Sin Datos --- | |
| 5/3/1963 | --- | ASHCAN | --- Sin Datos --- | |
| 15/3/1963 | --- | ASHCAN | --- Sin Datos --- | |
| 19/3/1963 | --- | ASHCAN | --- Sin Datos --- | |
| 21/3/1963 | --- | ASHCAN | --- Sin Datos --- | |
| 2/4/1963 | --- | ASHCAN | --- Sin Datos --- | |
| 4/4/1963 | --- | ASHCAN | --- Sin Datos --- | |
| 8/4/1963 | 1 h | ASHCAN | Globo falló una hora despues de lanzado | |
| 10/4/1963 | 1 h | ASHCAN | Fallo del globo a los 65.000 pies | |
| 23/4/1963 | --- | ASHCAN | --- Sin Datos --- | |
| 2/5/1963 | 8:10 | --- | ASHCAN | --- Sin Datos --- |
| 4/5/1963 | --- | ASHCAN | --- Sin Datos --- | |
| 16/5/1963 | --- | ASHCAN | Fallo del globo a los 88.000 pies | |
| 24/6/1963 | --- | ASHCAN | --- Sin Datos --- | |
| 25/6/1963 | --- | ASHCAN | Fallo del globo a los 87.000 pies | |
| 26/6/1963 | --- | ASHCAN | --- Sin Datos --- | |
| 27/6/1963 | --- | ASHCAN | --- Sin Datos --- | |
| 24/7/1963 | --- | ASHCAN | --- Sin Datos --- | |
| 26/7/1963 | --- | ASHCAN | --- Sin Datos --- | |
| 8/8/1963 | --- | ASHCAN | --- Sin Datos --- | |
| 9/8/1963 | --- | ASHCAN | --- Sin Datos --- | |
| 20/8/1963 | --- | ASHCAN | Fallo del globo a los 85.000 pies | |
| 18/9/1963 | --- | ASHCAN | --- Sin Datos --- | |
| 19/9/1963 | 6:40 local | 5 h | ASHCAN | Warrananga Station, Victoria, Australia |
| 20/9/1963 | --- | ASHCAN | --- Sin Datos --- | |
| 27/9/1963 | --- | ASHCAN | --- Sin Datos --- | |
| 10/10/1963 | --- | ASHCAN | --- Sin Datos --- | |
| 15/10/1963 | --- | ASHCAN | --- Sin Datos --- | |
| 17/10/1963 | --- | ASHCAN | --- Sin Datos --- | |
| 24/10/1963 | --- | ASHCAN | --- Sin Datos --- | |
| 8/11/1963 | --- | ASHCAN | --- Sin Datos --- | |
| 12/11/1963 | --- | ASHCAN | --- Sin Datos --- | |
| 14/11/1963 | --- | ASHCAN | --- Sin Datos --- | |
| 20/11/1963 | --- | ASHCAN | --- Sin Datos --- | |
| 3/12/1963 | --- | ASHCAN | --- Sin Datos --- | |
| 4/12/1963 | --- | ASHCAN | --- Sin Datos --- | |
| 5/12/1963 | --- | ASHCAN | --- Sin Datos --- | |
| 12/12/1963 | --- | ASHCAN | --- Sin Datos --- | |
| 12/12/1963 | --- | ASHCAN | --- Sin Datos --- | |
| 16/1/1964 | --- | ASHCAN | --- Sin Datos --- | |
| 21/1/1964 | --- | ASHCAN | --- Sin Datos --- | |
| 22/1/1964 | --- | ASHCAN | --- Sin Datos --- | |
| 23/1/1964 | --- | ASHCAN | --- Sin Datos --- | |
| 4/2/1964 | --- | ASHCAN | --- Sin Datos --- | |
| 6/2/1964 | --- | ASHCAN | --- Sin Datos --- | |
| 18/2/1964 | --- | ASHCAN | --- Sin Datos --- | |
| 20/2/1964 | --- | ASHCAN | --- Sin Datos --- | |
| 3/3/1964 | --- | ASHCAN | --- Sin Datos --- | |
| 6/3/1964 | --- | ASHCAN | --- Sin Datos --- | |
| 11/3/1964 | --- | ASHCAN | --- Sin Datos --- | |
| 17/3/1964 | --- | ASHCAN | --- Sin Datos --- | |
| 6/4/1964 | --- | ASHCAN | --- Sin Datos --- | |
| 10/4/1964 | --- | ASHCAN | --- Sin Datos --- | |
| 15/4/1964 | --- | ASHCAN | --- Sin Datos --- | |
| 16/4/1964 | --- | ASHCAN | --- Sin Datos --- | |
| 5/5/1964 | --- | ASHCAN | --- Sin Datos --- | |
| 7/5/1964 | --- | ASHCAN | --- Sin Datos --- | |
| 14/5/1964 | --- | ASHCAN | Fallo del globo a los 80.000 pies | |
| 14/5/1964 | --- | ASHCAN | Fallo del globo a los 80.000 pies | |
| 18/5/1964 | --- | ASHCAN | --- Sin Datos --- | |
| 19/5/1964 | --- | ASHCAN | Fallo del globo a los 90.000 pies | |
| 20/5/1964 | --- | ASHCAN | --- Sin Datos --- | |
| 27/5/1964 | --- | ASHCAN | --- Sin Datos --- | |
| 28/5/1964 | --- | ASHCAN | --- Sin Datos --- | |
| 29/5/1964 | --- | ASHCAN | --- Sin Datos --- | |
| 2/6/1964 | --- | ASHCAN | En Billabong, Victoria, Australia | |
| 4/6/1964 | --- | ASHCAN | --- Sin Datos --- | |
| 5/6/1964 | --- | ASHCAN | En Lamplough Station, Victoria, Australia | |
| 9/7/1964 | --- | ASHCAN | --- Sin Datos --- | |
| 27/7/1964 | --- | ASHCAN | --- Sin Datos --- | |
| 29/7/1964 | --- | ASHCAN | --- Sin Datos --- | |
| 30/7/1964 | --- | ASHCAN | --- Sin Datos --- | |
| 11/8/1964 | --- | ASHCAN | --- Sin Datos --- | |
| 19/8/1964 | --- | ASHCAN | --- Sin Datos --- | |
| 21/8/1964 | --- | ASHCAN | --- Sin Datos --- | |
| 26/8/1964 | --- | ASHCAN | --- Sin Datos --- | |
| 2/9/1964 | --- | ASHCAN | Globo con perdida a los 93.000 pies | |
| 17/9/1964 | --- | ASHCAN | Fallo del globo a los 81.000 pies | |
| 24/9/1964 | --- | ASHCAN | --- Sin Datos --- | |
| 25/9/1964 | --- | ASHCAN | --- Sin Datos --- | |
| 29/9/1964 | --- | ASHCAN | --- Sin Datos --- | |
| 30/9/1964 | --- | ASHCAN | --- Sin Datos --- | |
| 19/10/1964 | --- | ASHCAN | --- Sin Datos --- | |
| 21/10/1964 | --- | ASHCAN | Fallo del globo a los 57.000 pies | |
| 22/10/1964 | --- | ASHCAN | --- Sin Datos --- | |
| 27/10/1964 | --- | ASHCAN | --- Sin Datos --- | |
| 28/10/1964 | --- | ASHCAN | --- Sin Datos --- | |
| 10/11/1964 | --- | ASHCAN | --- Sin Datos --- | |
| 12/11/1964 | --- | ASHCAN | --- Sin Datos --- | |
| 17/11/1964 | --- | ASHCAN | --- Sin Datos --- | |
| 20/11/1964 | --- | ASHCAN | --- Sin Datos --- | |
| 8/12/1964 | --- | ASHCAN | --- Sin Datos --- | |
| 9/12/1964 | --- | ASHCAN | --- Sin Datos --- | |
| 10/12/1964 | --- | ASHCAN | --- Sin Datos --- | |
| 15/12/1964 | --- | ASHCAN | --- Sin Datos --- | |
| 16/12/1964 | --- | ASHCAN | --- Sin Datos --- | |
| 19/1/1965 | --- | ASHCAN | --- Sin Datos --- | |
| 21/1/1965 | --- | ASHCAN | Fallo del globo a los 81.000 pies | |
| 22/1/1965 | --- | ASHCAN | Descenso gradual desde los 81.000 ft. Mision fallida | |
| 26/1/1965 | --- | ASHCAN | --- Sin Datos --- | |
| 27/1/1965 | --- | ASHCAN | --- Sin Datos --- | |
| 28/1/1965 | --- | ASHCAN | Flotacion a 101.000 pies por dos horas y luego descenso lento | |
| 4/2/1965 | 6:17 local | --- | ASHCAN | Al N de Renmark, South Australia |
| 9/2/1965 | --- | ASHCAN | --- Sin Datos --- | |
| 11/2/1965 | --- | ASHCAN | --- Sin Datos --- | |
| 16/2/1965 | --- | ASHCAN | --- Sin Datos --- | |
| 18/2/1965 | --- | ASHCAN | --- Sin Datos --- | |
| 25/2/1965 | --- | ASHCAN | --- Sin Datos --- | |
| ??/3/1965 | --- | CARGA UTIL DESCONOCIDA | --- Sin Datos --- | |
| 2/3/1965 | --- | ASHCAN | Murray River, Renmark, Australia Meridional | |
| 4/3/1965 | --- | ASHCAN | Fallo del globo a los 50.000 pies | |
| 10/3/1965 | --- | ASHCAN | --- Sin Datos --- | |
| 11/3/1965 | --- | ASHCAN | --- Sin Datos --- | |
| 16/3/1965 | --- | ASHCAN | --- Sin Datos --- | |
| 31/3/1965 | 6 h | ASHCAN - LVIC (Large Volume Impactor Collector) | 33 millas de Mildura, Australia | |
| 1/4/1965 | --- | ASHCAN | --- Sin Datos --- | |
| 6/4/1965 | --- | ASHCAN | --- Sin Datos --- | |
| 8/4/1965 | --- | ASHCAN | --- Sin Datos --- | |
| 13/4/1965 | --- | ASHCAN | --- Sin Datos --- | |
| 4/5/1965 | --- | ASHCAN | --- Sin Datos --- | |
| 6/5/1965 | --- | ASHCAN | --- Sin Datos --- | |
| 25/5/1965 | 8:00 local | --- | ASHCAN | Encontrado un mes despues en Prungle Station, Victoria. Carga util incendiada. |
| 16/6/1965 | --- | ASHCAN | --- Sin Datos --- | |
| 17/6/1965 | --- | ASHCAN | Fallo del globo antes de alcanzar altura de flotacion | |
| 23/6/1965 | --- | ASHCAN | --- Sin Datos --- | |
| 25/6/1965 | --- | ASHCAN | Fallo del globo antes de alcanzar altura de flotacion | |
| 6/7/1965 | --- | ASHCAN | --- Sin Datos --- | |
| 9/7/1965 | --- | ASHCAN | --- Sin Datos --- | |
| 25/7/1965 | --- | ASHCAN | --- Sin Datos --- | |
| 26/8/1965 | --- | ASHCAN | --- Sin Datos --- | |
| 5/10/1965 | --- | ASHCAN | --- Sin Datos --- | |
| 10/10/1965 | --- | ASHCAN | --- Sin Datos --- | |
| 27/10/1965 | --- | ASHCAN | --- Sin Datos --- | |
| 15/11/1965 | --- | ASHCAN | --- Sin Datos --- | |
| 16/11/1965 | --- | ASHCAN | --- Sin Datos --- | |
| 18/11/1965 | --- | ASHCAN | --- Sin Datos --- | |
| 8/12/1965 | --- | ASHCAN | --- Sin Datos --- | |
| 9/12/1965 | --- | ASHCAN | --- Sin Datos --- | |
| 16/12/1965 | --- | ASHCAN | --- Sin Datos --- | |
| 18/1/1966 | --- | ASHCAN | --- Sin Datos --- | |
| 20/1/1966 | --- | ASHCAN | --- Sin Datos --- | |
| 27/1/1966 | --- | ASHCAN | --- Sin Datos --- | |
| 8/2/1966 | --- | ASHCAN | --- Sin Datos --- | |
| 10/2/1966 | --- | ASHCAN | --- Sin Datos --- | |
| 15/2/1966 | --- | ASHCAN | Falla del globo al alcanzar los 31.000 pies. Carga util recuperada con daños 10 millas al NO de Benanee, Australia | |
| 25/2/1966 | 6:39 local | --- | ASHCAN | 22 millas nauticas al NNO de Morgan, Australia |
| 1/3/1966 | --- | ASHCAN | Falla del globo al alcanzar los 58.000 pies. | |
| 7/3/1966 | --- | ASHCAN | Falla del globo al alcanzar los 65.000 pies. | |
| 10/3/1966 | --- | ASHCAN | --- Sin Datos --- | |
| 17/3/1966 | --- | ASHCAN | --- Sin Datos --- | |
| 22/3/1966 | --- | ASHCAN | Falla del globo al alcanzar los 87.500 pies. | |
| 24/3/1966 | --- | ASHCAN | --- Sin Datos --- | |
| 5/4/1966 | --- | ASHCAN | --- Sin Datos --- | |
| 14/4/1966 | --- | ASHCAN | --- Sin Datos --- | |
| 19/4/1966 | --- | ASHCAN | --- Sin Datos --- | |
| 27/4/1966 | --- | ASHCAN | --- Sin Datos --- | |
| 6/5/1966 | --- | ASHCAN | --- Sin Datos --- | |
| 10/5/1966 | --- | ASHCAN | Falla del globo al alcanzar los 37.200 pies. | |
| 12/5/1966 | --- | ASHCAN | --- Sin Datos --- | |
| 7/6/1966 | --- | ASHCAN | --- Sin Datos --- | |
| 9/6/1966 | --- | ASHCAN | --- Sin Datos --- | |
| 17/6/1966 | --- | ASHCAN | --- Sin Datos --- | |
| 12/7/1966 | --- | ASHCAN | --- Sin Datos --- | |
| 28/7/1966 | --- | ASHCAN | --- Sin Datos --- | |
| 4/8/1966 | --- | ASHCAN | --- Sin Datos --- | |
| 28/8/1966 | --- | ASHCAN | --- Sin Datos --- | |
| 7/9/1966 | --- | ASHCAN | --- Sin Datos --- | |
| 22/9/1966 | --- | ASHCAN | --- Sin Datos --- | |
| 26/9/1966 | --- | ASHCAN | --- Sin Datos --- | |
| 1/10/1966 | --- | ASHCAN | --- Sin Datos --- | |
| 4/10/1966 | --- | ASHCAN | --- Sin Datos --- | |
| 20/10/1966 | --- | ASHCAN | --- Sin Datos --- | |
| 27/10/1966 | --- | ASHCAN | --- Sin Datos --- | |
| 28/10/1966 | --- | ASHCAN | --- Sin Datos --- | |
| 10/12/1966 | --- | CAMARA DE CHISPAS PARA ESTUDIO DE RAYOS GAMMA | --- Sin Datos --- | |
| 15/12/1966 | --- | DETECTOR DE RAYOS-X | --- Sin Datos --- | |
| 18/12/1966 | --- | DETECTOR DE RAYOS-X | --- Sin Datos --- | |
| 21/12/1966 | 6:29 EST | --- | ASHCAN + SONDA OZONO | 200 KM al O de Mildura, Australia |
| 18/1/1967 | --- | ASHCAN | --- Sin Datos --- | |
| 20/1/1967 | --- | ASHCAN | --- Sin Datos --- | |
| 12/2/1967 | --- | ASHCAN | --- Sin Datos --- | |
| 15/2/1967 | --- | ASHCAN | --- Sin Datos --- | |
| 20/2/1967 | --- | ASHCAN | --- Sin Datos --- | |
| 10/3/1967 | --- | ASHCAN | --- Sin Datos --- | |
| 14/3/1967 | 6 h | CAMARA DE CHISPAS | --- Sin Datos --- | |
| 17/3/1967 | --- | ASHCAN | --- Sin Datos --- | |
| 20/3/1967 | 1 h | CAMARA DE CHISPAS | Explosion del globo a los 70.000 ft | |
| 22/3/1967 | --- | ASHCAN | --- Sin Datos --- | |
| 29/3/1967 | --- | ASHCAN | --- Sin Datos --- | |
| 6/4/1967 | --- | ASHCAN | --- Sin Datos --- | |
| 11/4/1967 | --- | ASHCAN | --- Sin Datos --- | |
| 13/4/1967 | --- | ASHCAN | --- Sin Datos --- | |
| 2/5/1967 | --- | ASHCAN | --- Sin Datos --- | |
| 4/5/1967 | --- | ASHCAN | --- Sin Datos --- | |
| 9/5/1967 | --- | ASHCAN | --- Sin Datos --- | |
| 15/6/1967 | --- | ASHCAN | --- Sin Datos --- | |
| 2/7/1967 | --- | ASHCAN | --- Sin Datos --- | |
| 5/9/1967 | --- | ASHCAN | --- Sin Datos --- | |
| 7/9/1967 | --- | ASHCAN | --- Sin Datos --- | |
| 9/9/1967 | CAMARA DE CHISPAS | --- Sin Datos --- | ||
| 22/9/1967 | --- | ASHCAN | --- Sin Datos --- | |
| 25/9/1967 | --- | ASHCAN | --- Sin Datos --- | |
| 27/9/1967 | 3 h | CAMARA DE CHISPAS | --- Sin Datos --- | |
| 28/9/1967 | --- | ASHCAN | --- Sin Datos --- | |
| 15/10/1967 | --- | DETECTOR DE RAYOS X | --- Sin Datos --- | |
| 23/10/1967 | 1 h | CAMARA DE CHISPAS | Explosion del globo a los 78.000 ft | |
| 24/10/1967 | --- | DETECTOR DE RAYOS X | --- Sin Datos --- | |
| 1/11/1967 | 8 h | CAMARA DE CHISPA | --- Sin Datos --- | |
| 10/11/1967 | 5 h | CAMARA DE CHISPAS | --- Sin Datos --- | |
| 23/11/1967 | 1 h | CAMARA DE CHISPAS | Explosion del globo a los 92.000 ft | |
| 29/2/1968 | 4:15 EAT | --- | DETECTORES DE RAYOS-X | --- Sin Datos --- |
| 21/3/1968 | --- | ASHCAN | --- Sin Datos --- | |
| 26/3/1968 | --- | ASHCAN | --- Sin Datos --- | |
| 28/3/1968 | --- | ASHCAN | --- Sin Datos --- | |
| 23/4/1968 | 12:25 utc | 10 h 30 m | DETECTOR DE RAYOS GAMMA | --- Sin Datos --- |
| 6/5/1968 | 6:30 utc | 8 h 50 m | DETECTOR DE RAYOS GAMMA | A 200 millas de Mildura, Victoria, Australia |
| 13/6/1968 | --- | ASHCAN | --- Sin Datos --- | |
| 10/7/1968 | --- | ASHCAN | --- Sin Datos --- | |
| 15/7/1968 | --- | ASHCAN | --- Sin Datos --- | |
| 18/7/1968 | --- | ASHCAN | --- Sin Datos --- | |
| 13/9/1968 | --- | ASHCAN | --- Sin Datos --- | |
| 11/11/1968 | --- | ASHCAN | --- Sin Datos --- | |
| 5/3/1969 | --- | ASHCAN | --- Sin Datos --- | |
| 6/3/1969 | --- | ASHCAN | --- Sin Datos --- | |
| 13/3/1969 | --- | ASHCAN | --- Sin Datos --- | |
| 14/3/1969 | --- | ASHCAN | --- Sin Datos --- | |
| 19/3/1969 | --- | ASHCAN | --- Sin Datos --- | |
| 20/3/1969 | --- | TELESCOPIO DE RAYOS X | --- Sin Datos --- | |
| 26/3/1969 | --- | ASHCAN | --- Sin Datos --- | |
| 16/4/1969 | F 16 h | TELESCOPIO DE RAYOS X | Perdido en el Mar de Tasmania. Apareció en una playa de Nueva Zelandia nueve meses despues. | |
| 27/4/1969 | --- | DETECTORES DE RAYOS-X | --- Sin Datos --- | |
| 24/6/1969 | --- | ASHCAN | --- Sin Datos --- | |
| 26/6/1969 | --- | ASHCAN | --- Sin Datos --- | |
| 8/7/1969 | --- | ASHCAN | --- Sin Datos --- | |
| 10/7/1969 | --- | ASHCAN | --- Sin Datos --- | |
| 25/8/1969 | --- | DETECTOR DE RAYOS-X | --- Sin Datos --- | |
| 29/8/1969 | --- | ASHCAN | --- Sin Datos --- | |
| 5/9/1969 | --- | ASHCAN | --- Sin Datos --- | |
| 9/9/1969 | --- | ASHCAN | --- Sin Datos --- | |
| 26/9/1969 | --- | ASHCAN | --- Sin Datos --- | |
| 23/10/1969 | F 6 h | TELESCOPIO DE RAYOS GAMMA | --- Sin Datos --- | |
| 16/11/1969 | 30 h | CARGA UTIL DESCONOCIDA | --- Sin Datos --- | |
| 26/11/1969 | --- | CARGA UTIL DESCONOCIDA | --- Sin Datos --- | |
| 4/12/1969 | 9 h | CARGA UTIL DESCONOCIDA | --- Sin Datos --- | |
| 22/1/1970 | --- | ASHCAN | --- Sin Datos --- | |
| 28/1/1970 | --- | ASHCAN | --- Sin Datos --- | |
| 29/1/1970 | --- | ASHCAN | --- Sin Datos --- | |
| 6/2/1970 | --- | ASHCAN | --- Sin Datos --- | |
| 21/2/1970 | --- | ASHCAN + RADIOMETROS | --- Sin Datos --- | |
| 26/2/1970 | --- | ASHCAN | --- Sin Datos --- | |
| 27/2/1970 | --- | ASHCAN | --- Sin Datos --- | |
| 9/3/1970 | --- | ASHCAN | --- Sin Datos --- | |
| 11/3/1970 | --- | ASHCAN | --- Sin Datos --- | |
| 13/3/1970 | --- | ASHCAN | --- Sin Datos --- | |
| 25/3/1970 | 13:52 utc | F 11 h 20 m | TELESCOPIO DE RAYOS GAMMA | --- Sin Datos --- |
| 8/6/1970 | --- | ASHCAN | --- Sin Datos --- | |
| 9/6/1970 | --- | ASHCAN | --- Sin Datos --- | |
| 23/6/1970 | --- | ASHCAN | --- Sin Datos --- | |
| 2/7/1970 | --- | ASHCAN | --- Sin Datos --- | |
| 7/7/1970 | --- | ASHCAN | --- Sin Datos --- | |
| 16/9/1970 | --- | ASHCAN | Fallo del globo | |
| 17/9/1970 | --- | ASHCAN | --- Sin Datos --- | |
| 18/9/1970 | --- | ASHCAN | --- Sin Datos --- | |
| 29/9/1970 | --- | ASHCAN | --- Sin Datos --- | |
| 2/10/1970 | --- | ASHCAN | Fallo del globo | |
| 15/10/1970 | 10 h | DETECTOR DE RAYOS X | --- Sin Datos --- | |
| 7/11/1970 | ~ 1 h | DETECTOR DE RAYOS X | Fallo del globo a los 40.000 pies | |
| 21/11/1970 | - | CARGA UTIL DESCONOCIDA | Vuelo abortado en tierra | |
| 22/11/1970 | 13 h | CARGA UTIL DESCONOCIDA | --- Sin Datos --- | |
| 8/12/1970 | 11 h 25 m | CARGA UTIL DESCONOCIDA | --- Sin Datos --- | |
| 12/12/1970 | --- | ASHCAN | --- Sin Datos --- | |
| 13/12/1970 | --- | ASHCAN | --- Sin Datos --- | |
| 15/12/1970 | --- | ASHCAN | --- Sin Datos --- | |
| 19/12/1970 | --- | ESTUDIOS DE RAYOS X | --- Sin Datos --- | |
| 11/3/1971 | --- | ASHCAN | --- Sin Datos --- | |
| 17/3/1971 | --- | ASHCAN | --- Sin Datos --- | |
| 18/3/1971 | --- | ASHCAN | --- Sin Datos --- | |
| 23/3/1971 | --- | ASHCAN | --- Sin Datos --- | |
| 24/3/1971 | --- | ASHCAN | --- Sin Datos --- | |
| 2/4/1971 | --- | ASHCAN | --- Sin Datos --- | |
| 5/4/1971 | --- | ASHCAN | --- Sin Datos --- | |
| 9/6/1971 | --- | ASHCAN | --- Sin Datos --- | |
| 10/6/1971 | --- | ASHCAN | --- Sin Datos --- | |
| 16/6/1971 | --- | ASHCAN | --- Sin Datos --- | |
| 25/6/1971 | --- | ASHCAN | --- Sin Datos --- | |
| 5/10/1971 | --- | ASHCAN | --- Sin Datos --- | |
| 12/10/1971 | --- | ASHCAN | --- Sin Datos --- | |
| 13/10/1971 | --- | ASHCAN | --- Sin Datos --- | |
| 14/1/1972 | 4 h 20 m | ASHCAN + FOTOGRAFIA DE CAPAS DE POLVO EN ALTURA | --- Sin Datos --- | |
| 15/1/1972 | 5 h 50 m | ASHCAN + FOTOGRAFIA DE CAPAS DE POLVO EN ALTURA | --- Sin Datos --- | |
| 17/1/1972 | 5 h | ASHCAN | --- Sin Datos --- | |
| 3/5/1972 | 7 h | ASHCAN + FOTOGRAFIA DE CAPAS DE POLVO EN ALTURA | --- Sin Datos --- | |
| 5/5/1972 | ~7 h | ASHCAN + FOTOGRAFIA DE CAPAS DE POLVO EN ALTURA | --- Sin Datos --- | |
| 9/5/1972 | ~6 h | ASHCAN + FOTOGRAFIA DE CAPAS DE POLVO EN ALTURA | --- Sin Datos --- | |
| 11/5/1972 | 5 h 30 m | ASHCAN + FOTOGRAFIA DE CAPAS DE POLVO EN ALTURA | --- Sin Datos --- | |
| 5/6/1972 | 6 h 10 m | ASHCAN | --- Sin Datos --- | |
| 6/6/1972 | --- | ASHCAN | --- Sin Datos --- | |
| 26/7/1972 | 4 h 30 m | ASHCAN + FOTOGRAFIA DE CAPAS DE POLVO EN ALTURA | --- Sin Datos --- | |
| 28/7/1972 | 6 h 30 m | ASHCAN + FOTOGRAFIA DE CAPAS DE POLVO EN ALTURA | --- Sin Datos --- | |
| 8/8/1972 | 6 h 30 m | ASHCAN + FOTOGRAFIA DE CAPAS DE POLVO EN ALTURA | --- Sin Datos --- | |
| 17/8/1972 | 6h 30m | ASHCAN | --- Sin Datos --- | |
| 24/8/1972 | 3 h 30 m | SONDEADOR ACUSTICO DE ECO (RADAR) | --- Sin Datos --- | |
| 13/10/1972 | 2 h 15 m | CONTADOR DE AEROSOLES | --- Sin Datos --- | |
| 14/10/1972 | 6h | ASHCAN | --- SIN DATOS --- | |
| 18/10/1972 | 6h 30m | ASHCAN | --- Sin Datos --- | |
| 19/10/1972 | 4h 45m | ASHCAN | --- Sin Datos --- | |
| 16/1/1973 | --- | ASHCAN | --- Sin Datos --- | |
| 17/1/1973 | --- | ASHCAN | --- Sin Datos --- | |
| 23/1/1973 | --- | ASHCAN | --- Sin Datos --- | |
| 5/3/1973 | --- | CONTADOR DE AEROSOLES | --- Sin Datos --- | |
| 3/4/1973 | --- | ASHCAN | --- Sin Datos --- | |
| 4/4/1973 | --- | ASHCAN | --- Sin Datos --- | |
| 6/4/1973 | --- | ASHCAN | --- Sin Datos --- | |
| 10/4/1973 | --- | ASHCAN | --- Sin Datos --- | |
| 12/4/1973 | --- | ASHCAN | --- Sin Datos --- | |
| 21/8/1973 | --- | ASHCAN + RADIOMETRO | --- Sin Datos --- | |
| 24/8/1973 | --- | ASHCAN | --- Sin Datos --- | |
| 6/9/1973 | --- | ASHCAN | --- Sin Datos --- | |
| 15/9/1973 | --- | CONTADOR DE AEROSOLES | --- Sin Datos --- | |
| 8/10/1973 | --- | ASHCAN | --- Sin Datos --- | |
| 12/10/1973 | --- | ASHCAN | --- Sin Datos --- | |
| 17/10/1973 | --- | ASHCAN + RADIOMETRO + AEROSOLES | --- Sin Datos --- | |
| 22/1/1974 | --- | ASHCAN | --- Sin Datos --- | |
| 4/2/1974 | --- | RADIOMETRO | --- Sin Datos --- | |
| 5/2/1974 | --- | ASHCAN | --- Sin Datos --- | |
| 25/9/1974 | --- | MUESTREO POR IMPACTADOR A CHORRO | --- Sin Datos --- | |
| 29/11/1974 | --- | MUESTREO POR IMPACTADOR A CHORRO | --- Sin Datos --- | |
| 3/12/1974 | --- | MUESTREO POR IMPACTADOR A CHORRO | --- Sin Datos --- | |
| 5/2/1975 | --- | RADIOMETRO | --- Sin Datos --- | |
| 7/2/1975 | --- | MUESTREO POR IMPACTADOR A CHORRO | --- Sin Datos --- | |
| 10/2/1975 | --- | MUESTREO POR IMPACTADOR A CHORRO | --- Sin Datos --- | |
| 4/3/1975 | --- | MUESTREO POR IMPACTADOR A CHORRO | --- Sin Datos --- | |
| 2/4/1975 | --- | MUESTREO POR IMPACTADOR A CHORRO | --- Sin Datos --- | |
| 3/4/1975 | --- | CONTADOR DE AEROSOLES | --- Sin Datos --- | |
| 2/5/1975 | --- | MUESTREO POR IMPACTADOR A CHORRO | --- Sin Datos --- | |
| 27/5/1975 | --- | RADIOMETRO | --- Sin Datos --- | |
| 28/5/1975 | --- | MUESTREO POR IMPACTADOR A CHORRO | --- Sin Datos --- | |
| 30/5/1975 | --- | MUESTREO POR IMPACTADOR A CHORRO + RADIOMETRO | --- Sin Datos --- | |
| 5/8/1975 | --- | MUESTREO POR IMPACTADOR A CHORRO | --- Sin Datos --- | |
| 24/9/1975 | --- | MUESTREO POR IMPACTADOR A CHORRO | --- Sin Datos --- | |
| 26/9/1975 | --- | CONTADOR DE AEROSOLES | --- Sin Datos --- | |
| 10/12/1975 | --- | RADIOMETRO | --- Sin Datos --- | |
| 12/12/1975 | --- | CONTADOR DE AEROSOLES | --- Sin Datos --- | |
| 28/1/1976 | --- | RADIOMETRO | --- Sin Datos --- | |
| 29/1/1976 | --- | CONTADOR DE AEROSOLES | --- Sin Datos --- | |
| 26/5/1976 | --- | CONTADOR DE AEROSOLES | --- Sin Datos --- | |
| 2/6/1976 | --- | RADIOMETRO | --- Sin Datos --- | |
| 9/9/1976 | --- | CONTADOR DE AEROSOLES | --- Sin Datos --- | |
| 14/9/1976 | --- | RADIOMETRO | --- Sin Datos --- | |
| 11/11/1976 | 19:25 utc | 3 h 15 m | CONTADOR DE AEROSOLES | --- Sin Datos --- |
| 25/1/1977 | --- | RADIOMETRO | --- Sin Datos --- | |
| 4/2/1977 | --- | CONTADOR DE AEROSOLES | --- Sin Datos --- | |
| 12/5/1977 | --- | RADIOMETRO | --- Sin Datos --- | |
| 14/7/1977 | --- | CONTADOR DE AEROSOLES | --- Sin Datos --- | |
| 2/8/1977 | --- | CONTADOR DE AEROSOLES | --- Sin Datos --- | |
| 6/9/1977 | --- | RADIOMETRO | --- Sin Datos --- | |
| 11/12/1977 | 19:57 utc | 2 h 48 m | MEDICIONES DE NO2 | --- Sin Datos --- |
| 13/12/1977 | 19:59 utc | 4 h 26 m | MEDICIONES DE NO2 | --- Sin Datos --- |
| 16/12/1977 | --- | CONTADOR DE AEROSOLES | --- Sin Datos --- | |
| 13/2/1978 | --- | CONTADOR DE AEROSOLES | --- Sin Datos --- | |
| 24/4/1978 | --- | TELESCOPIO INFRARROJO | --- Sin Datos --- | |
| 31/5/1978 | --- | RADIOMETRO | --- Sin Datos --- | |
| 28/8/1978 | --- | RADIOMETRO | --- Sin Datos --- | |
| 28/9/1978 | --- | CONTADOR DE AEROSOLES | --- Sin Datos --- | |
| 23/11/1978 | --- | CONTADOR DE AEROSOLES | --- Sin Datos --- | |
| 16/1/1979 | 1h 58m | CARGA UTIL DESCONOCIDA | --- Sin Datos --- | |
| 9/5/1979 | 21:23 utc | 4 h 5 m | RADIOMETRO | --- Sin Datos --- |
| 15/5/1979 | 17:44 utc | 5 h 30 m | MEDICIONES DE NO, HNO3 Y OZONO | --- Sin Datos --- |
| 17/5/1979 | 22:00 utc | 2 h 5 m | RADIOMETRO | --- Sin Datos --- |
| 30/5/1979 | 3h | CARGA UTIL DESCONOCIDA | --- Sin Datos --- | |
| 1/6/1979 | 1h 40m | CARGA UTIL DESCONOCIDA | --- Sin Datos --- | |
| 4/6/1979 | 1h 50m | CARGA UTIL DESCONOCIDA | --- Sin Datos --- | |
| 14/8/1979 | --- | CONTADOR DE AEROSOLES | --- Sin Datos --- | |
| 9/9/1979 | 14 h 30 m | CARGA UTIL DESCONOCIDA | --- Sin Datos --- | |
| 14/9/1979 | 2h 15m | CARGA UTIL DESCONOCIDA | --- Sin Datos --- | |
| 18/9/1979 | 20:56 utc | 3 h 10 m | RADIOMETRO | --- Sin Datos --- |
| 18/9/1979 | 5 h | CARGA UTIL DESCONOCIDA | --- Sin Datos --- | |
| 13/10/1979 | 21:09 utc | 2 h | RADIOMETRO | --- Sin Datos --- |
| 15/10/1979 | 17:19 utc | 5 h | CONTADOR DE AEROSOLES | --- Sin Datos --- |
| 25/10/1979 | 5:06 utc | ~ 6 h | CARGA UTIL DESCONOCIDA | --- Sin Datos --- |
| 13/4/1980 | 7:02 utc | 14h 15m | TELESCOPIO INFRARROJO | --- Sin Datos --- |