The Mildura Airport (34°11'S, 142°10'E) located in the southeastern limit of the great Australian desert, in the State of Victoria was established in 1942 as the largest training facility in Australia for fighter pilots of the Royal Australian Air Force during World War II. After the war the airport facilities were used as a campus for the University of Melbourne, and later as a Migrant Centre, most of them employed on horticultural properties around the Mildura area.
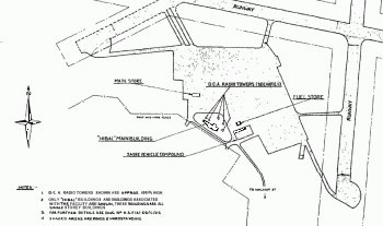
In 1960 the Atomic Energy Comission (AEC) of the United States developed a stratospheric air and dust sampling program in the southern hemisphere to study the levels of radioactive elements injected in the stratosphere by the many atomic experiments made by that country in the Pacific Ocean since 1949. Thus the Department of Supply (DOS) of the Australian government under that directive and following an agreement at the Federal Government level, established in 1960 the Australian Balloon Launching Station (ABLS) at the facilities of the local airport in Mildura. At left can be seen the layout of the balloon launch site (clicking to enlarge).
The winds regime on the region is charcterized by a constant westward blow between September and March and viceversa between April and August, while there is a quiet period knowkn as "turnaround" in March and September/October, where it was possible to develop long-duration flights with little balloon displacement. The crew that carried out the launch operations was composed only by local people whom were trained in the art of stratospheric ballooning. The program counted with a launch vehicle (hence the use of the dynamic method) and a Piper Aztec plane transporting a Radio Command System, a receiver/indicator for the balloon beacon, a telemetry receiver and a communication system to talk to the base station and recovery vehicles (mainly land rovers 4x4).
The program was widely know as HIBAL (High Altitude Balloons) and as ocurred in the United States with Navy's "Skyhook" balloon program, often that denomination was used to point to any balloon mission in Australia, regardless it was part of the sampling program or not. The standard payload for these atmospheric monitoring flights consisted of a dust sample gathering system weighting around 450 lb. The samples were collected at predetermined float altitudes between 40.000 and 135.000 feet, in standard flight profiles ranging from 20 minutes to 4 hours of leveled flight. The maximum balloon volume then used was 10.6 million cubic feet. From time to time, additional piggyback payloads consisting of small scientific instruments were carried along the sampling apparatus on benefit of several institutions from Australia, mainly Universities.
In all, more than 600 of these flights took place until the agreement closing in 1966. Nevertheless far from ending, following an exchange of notes between the Governments of the U.S. and Australia that same year, Project Hibal was extended for three further years. At that time, scientific groups from several countries, realizing the potential of Australia as an excellent site for ballooning, became increasingly interested in making flights from various locations within the continent. The southerly latitude, combined with the large land mass in the east-west direction could yield extended observation times of astrophysical sources in the Galactic Centre region.
Thus, the activity continued although the sampling effort suffered a sharp reduction in the frequency of flights. Nevertheless, the new agreement included the extension of the operations to other sites than Mildura, and the availability of the launch facilities for use by other agencies in support of basic research into atmospheric phenomena.
In that context near 150 flights were carried out between 1967 and 1980 from Mildura and alternate sites like Longreach, Broken Hill and Alice Spring, with payloads in the fields of gamma ray, X-ray and infrared astronomy, and cosmic ray physics. The launches in other places than Mildura were carried out during several remote campaigns each year using vehicles and personel from the station that were sent yo each launch site by rail or road.
In the middle of the 70's decade, funding problems endangered the continuation of the operations at Mildura. At the time the United States was the only country that contributed paying a third of the running costs, while Australia was responsible for the remaining two thirds. The rest of the users only paid the material costs (balloon, helium and so on) of each launch. The first attempt to get Britain (at that time the second main foreign user) to pay one third of the running costs in 1976 failed after Science Research Council claimed lack of funds for that purpose. By the end of the decade the Government of Australia arguing that it was subsidizing foreign astronomers whose governments do not paid an economic fee to alleviate the high cost of operation of the site, threatened to close it. Also the need of modernization of the equipment (the same used since the start of the operations almost 20 years before) was another factor that urged the seek of fresh funds.
By 1980 Vic Hopper of the Physics Department of the University of Melbourne who was especially active in promoting the use of balloons since the early 60's made a proposal to Britain and the United States about the sharing of the running costs between the five principal users, which was preliminarily accepted by both countries. The new proposal appealed to Britain in particular because the cost would be shared by more countries, as Germany and Japan were regular users of the facilities since 1977. The plan also contempled the possibility for each country to help to up-date the equipment by providing their own, which was welcomed by United States and Germany that considered providing a better launch truck for heavier balloons while Britain offered to provide an improved kilobit telemetry link from its abandoned Skylark rocket program. Nevertheless, the proposal was never realized, and due to the lack of funding the government finally closed the ABLS Mildura in 1981.
In all, a total of 751 balloons were launched there.
Mildura is today Victoria's largest and busiest regional airport, servicing over 180,000 airline passengers yearly from around 6,800 regular passenger transport aircraft movements. There are a further 6,200 general aviation aircraft movements which include a regular air freight service, charter, flight training, air ambulance, refuelling and stop-over visits by military aircraft.
| Date | Hour | Flight Duration | Experiment | Payload landing place or cause of the failure |
|---|---|---|---|---|
| 12/17/1960 | --- | ASHCAN | 46 miles N of Mildura, Australia | |
| 12/20/1960 | --- | ASHCAN | 18 miles NE of Mildura, Australia | |
| 1/9/1961 | --- | ASHCAN | 25 miles NNW of Mildura, Australia | |
| 1/13/1961 | --- | ASHCAN | Near Prungle Station, Victoria, Australia | |
| 1/17/1961 | --- | ASHCAN | 108 miles W of Mildura, Australia | |
| 1/20/1961 | --- | ASHCAN | 76 miles NNE of Mildura, Australia | |
| 2/2/1961 | --- | ASHCAN | 30 miles NE of Mildura, Australia | |
| 2/7/1961 | --- | ASHCAN | 66 miles ESE of Mildura, Australia | |
| 2/9/1961 | --- | ASHCAN | 47 miles NE of Mildura, Australia | |
| 2/14/1961 | 5:40 local | --- | ASHCAN | 48 miles NNW of Mildura, Australia |
| 2/16/1961 | --- | ASHCAN | 74 miles SSW of Mildura, Australia | |
| 3/1/1961 | --- | ASHCAN | Balloon continued flying after separation. Payload landed 42 miles NE of Mildura, Australia | |
| 3/3/1961 | --- | ASHCAN | 91 miles NNE of Mildura, Australia | |
| 3/7/1961 | --- | ASHCAN | 45 miles N of Mildura, Australia | |
| 3/9/1961 | --- | ASHCAN | Balloon continued flying after separation. Payload landed 33 miles E of Mildura, Australia | |
| 3/16/1961 | 6:15 local | --- | ASHCAN | Balloon continued flying after separation. Payload landed 92 miles W of Mildura, Australia |
| 4/11/1961 | --- | ASHCAN | Balloon continued flying after separation. Payload landed 60 miles E of Mildura, Australia | |
| 4/12/1961 | --- | ASHCAN | 97 miles ESE of Mildura, Australia | |
| 4/12/1961 | --- | ASHCAN | Balloon failure at launch | |
| 4/14/1961 | 6:45 EST | --- | ASHCAN | Failed flight. Payload landed 22 miles SE of Mildura, Australia |
| 4/17/1961 | --- | ASHCAN | 57 miles NE of Mildura, Australia | |
| 4/19/1961 | --- | ASHCAN | 38 miles SE of Mildura, Australia | |
| 4/21/1961 | --- | ASHCAN | 81 miles NE of Mildura, Australia | |
| 5/4/1961 | 7:10 EST | --- | ASHCAN | --- No Data --- |
| 5/10/1961 | 7:33 EST | --- | ASHCAN | 14 miles from Garnpang Station, Victoria, Australia |
| 5/15/1961 | 7:26 EST | --- | ASHCAN | Near Ivanhoe, New South Wales, Australia |
| 6/8/1961 | --- | ASHCAN | --- No Data --- | |
| 6/13/1961 | --- | ASHCAN | --- No Data --- | |
| 6/15/1961 | --- | ASHCAN | --- No Data --- | |
| 6/20/1961 | --- | ASHCAN | --- No Data --- | |
| 6/22/1961 | --- | ASHCAN | Premature detachment of the payload which landed near Pooncarie, Australia. Balloon kept floating and was not recovered. | |
| 6/27/1961 | --- | ASHCAN | --- No Data --- | |
| 7/4/1961 | --- | ASHCAN | --- No Data --- | |
| 7/7/1961 | --- | ASHCAN | --- No Data --- | |
| 7/11/1961 | --- | ASHCAN | --- No Data --- | |
| 7/13/1961 | --- | ASHCAN | --- No Data --- | |
| 7/18/1961 | 9:11 local | 5 h 19 m | ASHCAN | 37 miles E of Hay, Australia |
| 8/1/1961 | --- | ASHCAN | --- No Data --- | |
| 8/3/1961 | --- | ASHCAN | --- No Data --- | |
| 8/8/1961 | --- | ASHCAN | --- No Data --- | |
| 8/11/1961 | 7:02 local | 3 h | ASHCAN | In Till Till Station, New South Wales, Australia |
| 8/17/1961 | --- | ASHCAN | --- No Data --- | |
| 9/7/1961 | --- | ASHCAN | --- No Data --- | |
| 9/13/1961 | --- | ASHCAN | --- No Data --- | |
| 9/15/1961 | 7:11 local | --- | ASHCAN | Balloon failure at 4000 ft. Payload landed 300 yards from two houses in Mildura South. |
| 9/19/1961 | 6:47 EST | 3 h | ASHCAN + PHOTOGRAPHIC PLATES | 95 miles E of Mildura, Victoria, Australia |
| 9/21/1961 | 6:37 EST | 3 h 30 m | ASHCAN + PHOTOGRAPHIC PLATES | 49 miles NE of Mildura, Victoria, Australia |
| 9/27/1961 | 6:30 EST | 2 h 24 m | ASHCAN + PHOTOGRAPHIC PLATES | Balloon burst. Payload recovered undamaged 58 miles E of Mildura, Victoria, Australia |
| 11/3/1961 | --- | ASHCAN | --- No Data --- | |
| 11/8/1961 | --- | ASHCAN | --- No Data --- | |
| 11/10/1961 | --- | ASHCAN | --- No Data --- | |
| 11/11/1961 | --- | ASHCAN | --- No Data --- | |
| 11/20/1961 | --- | ASHCAN | --- No Data --- | |
| 11/23/1961 | --- | ASHCAN | Balloon faiulre at 19.000 ft due to icing | |
| 11/27/1961 | --- | ASHCAN | --- No Data --- | |
| 11/29/1961 | --- | ASHCAN | --- No Data --- | |
| 11/30/1961 | --- | ASHCAN | --- No Data --- | |
| 12/1/1961 | --- | ASHCAN | --- No Data --- | |
| 12/4/1961 | --- | ASHCAN | --- No Data --- | |
| 12/9/1961 | --- | ASHCAN | --- No Data --- | |
| 12/11/1961 | --- | ASHCAN | --- No Data --- | |
| 12/12/1961 | --- | ASHCAN | --- No Data --- | |
| 12/18/1961 | --- | ASHCAN | Failure of the termination device. Payload not recovered | |
| 12/20/1961 | --- | ASHCAN | --- No Data --- | |
| 1/18/1962 | --- | ASHCAN | --- No Data --- | |
| 1/22/1962 | --- | ASHCAN | --- No Data --- | |
| 1/24/1962 | --- | ASHCAN | --- No Data --- | |
| 1/25/1962 | --- | ASHCAN | --- No Data --- | |
| 2/2/1962 | --- | ASHCAN | --- No Data --- | |
| 2/6/1962 | --- | ASHCAN | --- No Data --- | |
| 2/8/1962 | --- | ASHCAN | --- No Data --- | |
| 2/15/1962 | --- | ASHCAN | --- No Data --- | |
| 2/16/1962 | --- | ASHCAN | --- No Data --- | |
| 2/21/1962 | --- | ASHCAN | --- No Data --- | |
| 3/3/1962 | --- | ASHCAN | --- No Data --- | |
| 3/6/1962 | --- | ASHCAN | --- No Data --- | |
| 3/8/1962 | --- | ASHCAN | --- No Data --- | |
| 3/14/1962 | --- | ASHCAN | --- No Data --- | |
| 3/16/1962 | --- | ASHCAN | --- No Data --- | |
| 4/2/1962 | --- | ASHCAN | --- No Data --- | |
| 4/5/1962 | --- | ASHCAN | --- No Data --- | |
| 4/6/1962 | --- | ASHCAN | --- No Data --- | |
| 4/10/1962 | --- | ASHCAN | --- No Data --- | |
| 4/12/1962 | --- | ASHCAN | --- No Data --- | |
| 4/17/1962 | --- | ASHCAN | --- No Data --- | |
| 5/2/1962 | --- | ASHCAN | --- No Data --- | |
| 5/4/1962 | --- | ASHCAN | --- No Data --- | |
| 5/10/1962 | --- | ASHCAN | --- No Data --- | |
| 5/11/1962 | --- | ASHCAN | --- No Data --- | |
| 5/15/1962 | --- | ASHCAN | --- No Data --- | |
| 5/24/1962 | --- | ASHCAN | --- No Data --- | |
| 6/11/1962 | --- | ASHCAN | --- No Data --- | |
| 6/13/1962 | --- | ASHCAN | --- No Data --- | |
| 6/15/1962 | --- | ASHCAN | Balloon burst | |
| 6/27/1962 | --- | ASHCAN | --- No Data --- | |
| 6/28/1962 | --- | ASHCAN | --- No Data --- | |
| 7/3/1962 | --- | ASHCAN | --- No Data --- | |
| 7/10/1962 | --- | ASHCAN | --- No Data --- | |
| 7/11/1962 | --- | ASHCAN | --- No Data --- | |
| 7/27/1962 | --- | ASHCAN | --- No Data --- | |
| 8/10/1962 | --- | ASHCAN | --- No Data --- | |
| 8/14/1962 | --- | ASHCAN | --- No Data --- | |
| 8/16/1962 | --- | ASHCAN | --- No Data --- | |
| 8/31/1962 | --- | ASHCAN | --- No Data --- | |
| 9/18/1962 | --- | ASHCAN | --- No Data --- | |
| 9/20/1962 | --- | ASHCAN | --- No Data --- | |
| 9/25/1962 | --- | ASHCAN | --- No Data --- | |
| 9/28/1962 | --- | ASHCAN | Near Yunta, South Australia | |
| 10/10/1962 | --- | ASHCAN | --- No Data --- | |
| 10/11/1962 | --- | ASHCAN | --- No Data --- | |
| 10/15/1962 | --- | ASHCAN | --- No Data --- | |
| 10/26/1962 | --- | ASHCAN | --- No Data --- | |
| 11/1/1962 | --- | ASHCAN | --- No Data --- | |
| 11/8/1962 | --- | ASHCAN | --- No Data --- | |
| 11/13/1962 | --- | ASHCAN | --- No Data --- | |
| 12/4/1962 | --- | ASHCAN | --- No Data --- | |
| 12/6/1962 | --- | ASHCAN | --- No Data --- | |
| 12/12/1962 | --- | ASHCAN | --- No Data --- | |
| 12/13/1962 | 6:15 EST | --- | ASHCAN | Near Kingston, South Australia |
| 1/17/1963 | --- | ASHCAN | --- No Data --- | |
| 1/22/1963 | --- | ASHCAN | 2 miles off-shore Cowell, in Spencers Gulf, Australia | |
| 1/24/1963 | --- | ASHCAN | --- No Data --- | |
| 1/30/1963 | --- | ASHCAN | --- No Data --- | |
| 2/5/1963 | --- | ASHCAN | --- No Data --- | |
| 2/7/1963 | --- | ASHCAN | --- No Data --- | |
| 2/12/1963 | --- | ASHCAN | --- No Data --- | |
| 2/14/1963 | --- | ASHCAN | --- No Data --- | |
| 3/5/1963 | --- | ASHCAN | --- No Data --- | |
| 3/15/1963 | --- | ASHCAN | --- No Data --- | |
| 3/19/1963 | --- | ASHCAN | --- No Data --- | |
| 3/21/1963 | --- | ASHCAN | --- No Data --- | |
| 4/2/1963 | --- | ASHCAN | --- No Data --- | |
| 4/4/1963 | --- | ASHCAN | --- No Data --- | |
| 4/8/1963 | 1 h | ASHCAN | Balloon leaked one hour into the flight | |
| 4/10/1963 | 1 h | ASHCAN | Balloon burst at 65.000 ft | |
| 4/23/1963 | --- | ASHCAN | --- No Data --- | |
| 5/2/1963 | 8:10 | --- | ASHCAN | --- No Data --- |
| 5/4/1963 | --- | ASHCAN | --- No Data --- | |
| 5/16/1963 | --- | ASHCAN | Balloon burst at 88.000 ft | |
| 6/24/1963 | --- | ASHCAN | --- No Data --- | |
| 6/25/1963 | --- | ASHCAN | Balloon burst at 87.000 ft | |
| 6/26/1963 | --- | ASHCAN | --- No Data --- | |
| 6/27/1963 | --- | ASHCAN | --- No Data --- | |
| 7/24/1963 | --- | ASHCAN | --- No Data --- | |
| 7/26/1963 | --- | ASHCAN | --- No Data --- | |
| 8/8/1963 | --- | ASHCAN | --- No Data --- | |
| 8/9/1963 | --- | ASHCAN | --- No Data --- | |
| 8/20/1963 | --- | ASHCAN | Balloon burst at 85.000 ft | |
| 9/18/1963 | --- | ASHCAN | --- No Data --- | |
| 9/19/1963 | 6:40 local | 5 h | ASHCAN | Warrananga Station, Victoria, Australia |
| 9/20/1963 | --- | ASHCAN | --- No Data --- | |
| 9/27/1963 | --- | ASHCAN | --- No Data --- | |
| 10/10/1963 | --- | ASHCAN | --- No Data --- | |
| 10/15/1963 | --- | ASHCAN | --- No Data --- | |
| 10/17/1963 | --- | ASHCAN | --- No Data --- | |
| 10/24/1963 | --- | ASHCAN | --- No Data --- | |
| 11/8/1963 | --- | ASHCAN | --- No Data --- | |
| 11/12/1963 | --- | ASHCAN | --- No Data --- | |
| 11/14/1963 | --- | ASHCAN | --- No Data --- | |
| 11/20/1963 | --- | ASHCAN | --- No Data --- | |
| 12/3/1963 | --- | ASHCAN | --- No Data --- | |
| 12/4/1963 | --- | ASHCAN | --- No Data --- | |
| 12/5/1963 | --- | ASHCAN | --- No Data --- | |
| 12/12/1963 | --- | ASHCAN | --- No Data --- | |
| 12/12/1963 | --- | ASHCAN | --- No Data --- | |
| 1/16/1964 | --- | ASHCAN | --- No Data --- | |
| 1/21/1964 | --- | ASHCAN | --- No Data --- | |
| 1/22/1964 | --- | ASHCAN | --- No Data --- | |
| 1/23/1964 | --- | ASHCAN | --- No Data --- | |
| 2/4/1964 | --- | ASHCAN | --- No Data --- | |
| 2/6/1964 | --- | ASHCAN | --- No Data --- | |
| 2/18/1964 | --- | ASHCAN | --- No Data --- | |
| 2/20/1964 | --- | ASHCAN | --- No Data --- | |
| 3/3/1964 | --- | ASHCAN | --- No Data --- | |
| 3/6/1964 | --- | ASHCAN | --- No Data --- | |
| 3/11/1964 | --- | ASHCAN | --- No Data --- | |
| 3/17/1964 | --- | ASHCAN | --- No Data --- | |
| 4/6/1964 | --- | ASHCAN | --- No Data --- | |
| 4/10/1964 | --- | ASHCAN | --- No Data --- | |
| 4/15/1964 | --- | ASHCAN | --- No Data --- | |
| 4/16/1964 | --- | ASHCAN | --- No Data --- | |
| 5/5/1964 | --- | ASHCAN | --- No Data --- | |
| 5/7/1964 | --- | ASHCAN | --- No Data --- | |
| 5/14/1964 | --- | ASHCAN | Balloon burst at 80.000 ft | |
| 5/14/1964 | --- | ASHCAN | Balloon burst at 80.000 ft | |
| 5/18/1964 | --- | ASHCAN | --- No Data --- | |
| 5/19/1964 | --- | ASHCAN | Balloon burst at 90.000 ft | |
| 5/20/1964 | --- | ASHCAN | --- No Data --- | |
| 5/27/1964 | --- | ASHCAN | --- No Data --- | |
| 5/28/1964 | --- | ASHCAN | --- No Data --- | |
| 5/29/1964 | --- | ASHCAN | --- No Data --- | |
| 6/2/1964 | --- | ASHCAN | In Billabong, Victoria, Australia | |
| 6/4/1964 | --- | ASHCAN | --- No Data --- | |
| 6/5/1964 | --- | ASHCAN | In Lamplough Station, Victoria, Australia | |
| 7/9/1964 | --- | ASHCAN | --- No Data --- | |
| 7/27/1964 | --- | ASHCAN | --- No Data --- | |
| 7/29/1964 | --- | ASHCAN | --- No Data --- | |
| 7/30/1964 | --- | ASHCAN | --- No Data --- | |
| 8/11/1964 | --- | ASHCAN | --- No Data --- | |
| 8/19/1964 | --- | ASHCAN | --- No Data --- | |
| 8/21/1964 | --- | ASHCAN | --- No Data --- | |
| 8/26/1964 | --- | ASHCAN | --- No Data --- | |
| 9/2/1964 | --- | ASHCAN | Balloon leaking at 93.000 ft | |
| 9/17/1964 | --- | ASHCAN | Balloon burst at 81.000 ft | |
| 9/24/1964 | --- | ASHCAN | --- No Data --- | |
| 9/25/1964 | --- | ASHCAN | --- No Data --- | |
| 9/29/1964 | --- | ASHCAN | --- No Data --- | |
| 9/30/1964 | --- | ASHCAN | --- No Data --- | |
| 10/19/1964 | --- | ASHCAN | --- No Data --- | |
| 10/21/1964 | --- | ASHCAN | Balloon burst at 57.000 ft | |
| 10/22/1964 | --- | ASHCAN | --- No Data --- | |
| 10/27/1964 | --- | ASHCAN | --- No Data --- | |
| 10/28/1964 | --- | ASHCAN | --- No Data --- | |
| 11/10/1964 | --- | ASHCAN | --- No Data --- | |
| 11/12/1964 | --- | ASHCAN | --- No Data --- | |
| 11/17/1964 | --- | ASHCAN | --- No Data --- | |
| 11/20/1964 | --- | ASHCAN | --- No Data --- | |
| 12/8/1964 | --- | ASHCAN | --- No Data --- | |
| 12/9/1964 | --- | ASHCAN | --- No Data --- | |
| 12/10/1964 | --- | ASHCAN | --- No Data --- | |
| 12/15/1964 | --- | ASHCAN | --- No Data --- | |
| 12/16/1964 | --- | ASHCAN | --- No Data --- | |
| 1/19/1965 | --- | ASHCAN | --- No Data --- | |
| 1/21/1965 | --- | ASHCAN | Balloon burst at 81.000 ft | |
| 1/22/1965 | --- | ASHCAN | Gradual descent from 81.000 ft. Failed flight | |
| 1/26/1965 | --- | ASHCAN | --- No Data --- | |
| 1/27/1965 | --- | ASHCAN | --- No Data --- | |
| 1/28/1965 | --- | ASHCAN | Floated at 101.000 ft two hours and then began to descent. | |
| 2/4/1965 | 6:17 local | --- | ASHCAN | N of Renmark, South Australia |
| 2/9/1965 | --- | ASHCAN | --- No Data --- | |
| 2/11/1965 | --- | ASHCAN | --- No Data --- | |
| 2/16/1965 | --- | ASHCAN | --- No Data --- | |
| 2/18/1965 | --- | ASHCAN | --- No Data --- | |
| 2/25/1965 | --- | ASHCAN | --- No Data --- | |
| 3/??/1965 | --- | PAYLOAD UNKNOWN | --- No Data --- | |
| 3/2/1965 | --- | ASHCAN | Murray River, Renmark, South Australia | |
| 3/4/1965 | --- | ASHCAN | Balloon burst at 50.000 ft | |
| 3/10/1965 | --- | ASHCAN | --- No Data --- | |
| 3/11/1965 | --- | ASHCAN | --- No Data --- | |
| 3/16/1965 | --- | ASHCAN | --- No Data --- | |
| 3/31/1965 | 6 h | ASHCAN - LVIC (Large Volume Impactor Collector) | 33 miles from Mildura, Australia | |
| 4/1/1965 | --- | ASHCAN | --- No Data --- | |
| 4/6/1965 | --- | ASHCAN | --- No Data --- | |
| 4/8/1965 | --- | ASHCAN | --- No Data --- | |
| 4/13/1965 | --- | ASHCAN | --- No Data --- | |
| 5/4/1965 | --- | ASHCAN | --- No Data --- | |
| 5/6/1965 | --- | ASHCAN | --- No Data --- | |
| 5/25/1965 | 8:00 local | --- | ASHCAN | Found a month later in Prungle Station. Payload burned |
| 6/8/1965 | --- | ASHCAN | --- No Data --- | |
| 6/16/1965 | --- | ASHCAN | --- No Data --- | |
| 6/17/1965 | --- | ASHCAN | Balloon burst before reach float altitude | |
| 6/23/1965 | --- | ASHCAN | --- No Data --- | |
| 6/25/1965 | --- | ASHCAN | Balloon burst before reach float altitude | |
| 7/6/1965 | --- | ASHCAN | --- No Data --- | |
| 7/9/1965 | --- | ASHCAN | --- No Data --- | |
| 7/25/1965 | --- | ASHCAN | --- No Data --- | |
| 8/5/1965 | --- | ASHCAN | --- No Data --- | |
| 8/26/1965 | --- | ASHCAN | --- No Data --- | |
| 8/27/1965 | --- | ASHCAN | --- No Data --- | |
| 9/7/1965 | --- | ASHCAN | --- No Data --- | |
| 9/22/1965 | --- | ASHCAN | --- No Data --- | |
| 9/23/1965 | --- | ASHCAN | --- No Data --- | |
| 10/5/1965 | --- | ASHCAN | --- No Data --- | |
| 10/10/1965 | --- | ASHCAN | --- No Data --- | |
| 10/27/1965 | --- | ASHCAN | --- No Data --- | |
| 11/15/1965 | --- | ASHCAN | --- No Data --- | |
| 11/16/1965 | --- | ASHCAN | --- No Data --- | |
| 11/18/1965 | --- | ASHCAN | --- No Data --- | |
| 12/8/1965 | --- | ASHCAN | --- No Data --- | |
| 12/9/1965 | --- | ASHCAN | --- No Data --- | |
| 12/16/1965 | --- | ASHCAN | --- No Data --- | |
| 1/18/1966 | --- | ASHCAN | --- No Data --- | |
| 1/20/1966 | --- | ASHCAN | --- No Data --- | |
| 1/27/1966 | --- | ASHCAN | --- No Data --- | |
| 2/8/1966 | --- | ASHCAN | --- No Data --- | |
| 2/10/1966 | --- | ASHCAN | --- No Data --- | |
| 2/15/1966 | --- | ASHCAN | Balloon failed at 31.000 ft. Payload recovered with damage 10 miles NW of Benanee, Australia | |
| 2/25/1966 | 6:39 local | --- | ASHCAN | 22 Nautic Miles NNW of Morgan, Australia |
| 3/1/1966 | --- | ASHCAN | Balloon failed at 58.000 ft. | |
| 3/7/1966 | --- | ASHCAN | Balloon failed at 65.000 ft. | |
| 3/10/1966 | --- | ASHCAN | --- No Data --- | |
| 3/17/1966 | --- | ASHCAN | --- No Data --- | |
| 3/22/1966 | --- | ASHCAN | Balloon failed at 87.500 ft. | |
| 3/24/1966 | --- | ASHCAN | --- No Data --- | |
| 4/5/1966 | --- | ASHCAN | --- No Data --- | |
| 4/14/1966 | --- | ASHCAN | --- No Data --- | |
| 4/19/1966 | --- | ASHCAN | --- No Data --- | |
| 4/27/1966 | --- | ASHCAN | --- No Data --- | |
| 5/6/1966 | --- | ASHCAN | --- No Data --- | |
| 5/10/1966 | --- | ASHCAN | Balloon failed at 37.200 ft. | |
| 5/12/1966 | --- | ASHCAN | --- No Data --- | |
| 6/7/1966 | --- | ASHCAN | --- No Data --- | |
| 6/9/1966 | --- | ASHCAN | --- No Data --- | |
| 6/17/1966 | --- | ASHCAN | --- No Data --- | |
| 7/12/1966 | --- | ASHCAN | --- No Data --- | |
| 7/28/1966 | --- | ASHCAN | --- No Data --- | |
| 8/4/1966 | --- | ASHCAN | --- No Data --- | |
| 8/28/1966 | --- | ASHCAN | --- No Data --- | |
| 9/7/1966 | --- | ASHCAN | --- No Data --- | |
| 9/22/1966 | --- | ASHCAN | --- No Data --- | |
| 9/26/1966 | --- | ASHCAN | --- No Data --- | |
| 10/1/1966 | --- | ASHCAN | --- No Data --- | |
| 10/4/1966 | --- | ASHCAN | --- No Data --- | |
| 10/20/1966 | --- | ASHCAN | --- No Data --- | |
| 10/27/1966 | --- | ASHCAN | --- No Data --- | |
| 10/28/1966 | --- | ASHCAN | --- No Data --- | |
| 12/10/1966 | --- | GAMMA RAY SPARK CHAMBER | --- No Data --- | |
| 12/15/1966 | --- | X-RAY DETECTOR | --- No Data --- | |
| 12/18/1966 | --- | X-RAY DETECTOR | --- No Data --- | |
| 12/21/1966 | 6:29 EST | --- | ASHCAN + OZONE SONDE | 200 km W of Mildura, Australia |
| 1/18/1967 | --- | ASHCAN | --- No Data --- | |
| 1/20/1967 | --- | ASHCAN | --- No Data --- | |
| 2/12/1967 | --- | ASHCAN | --- No Data --- | |
| 2/15/1967 | --- | ASHCAN | --- No Data --- | |
| 2/20/1967 | --- | ASHCAN | --- No Data --- | |
| 3/10/1967 | --- | ASHCAN | --- No Data --- | |
| 3/14/1967 | 6 h | SPARK CHAMBER | --- No Data --- | |
| 3/17/1967 | --- | ASHCAN | --- No Data --- | |
| 3/20/1967 | 1 h | SPARK CHAMBER | Balloon burst at 70.000 ft. Free fall of the payload | |
| 3/22/1967 | --- | ASHCAN | --- No Data --- | |
| 3/29/1967 | --- | ASHCAN | --- No Data --- | |
| 4/6/1967 | --- | ASHCAN | --- No Data --- | |
| 4/11/1967 | --- | ASHCAN | --- No Data --- | |
| 4/13/1967 | --- | ASHCAN | --- No Data --- | |
| 5/2/1967 | --- | ASHCAN | --- No Data --- | |
| 5/4/1967 | --- | ASHCAN | --- No Data --- | |
| 5/9/1967 | --- | ASHCAN | --- No Data --- | |
| 6/15/1967 | --- | ASHCAN | --- No Data --- | |
| 7/2/1967 | --- | ASHCAN | --- No Data --- | |
| 9/5/1967 | --- | ASHCAN | --- No Data --- | |
| 9/7/1967 | --- | ASHCAN | --- No Data --- | |
| 9/9/1967 | SPARK CHAMBER | --- No Data --- | ||
| 9/22/1967 | --- | ASHCAN | --- No Data --- | |
| 9/25/1967 | --- | ASHCAN | --- No Data --- | |
| 9/27/1967 | 3 h | SPARK CHAMBER | --- No Data --- | |
| 9/28/1967 | --- | ASHCAN | --- No Data --- | |
| 10/5/1967 | --- | ASHCAN | --- No Data --- | |
| 10/15/1967 | --- | X-RAY DETECTOR | --- No Data --- | |
| 10/23/1967 | 1 h | SPARK CHAMBER | Balloon burst at 78.000 ft. | |
| 10/24/1967 | --- | X-RAY DETECTOR | --- No Data --- | |
| 11/1/1967 | 8 h | SPARK CHAMBER | --- No Data --- | |
| 11/10/1967 | 5 h | SPARK CHAMBER | --- No Data --- | |
| 11/23/1967 | 1 h | SPARK CHAMBER | Balloon burst at 92.000 ft. | |
| 11/28/1967 | --- | ASHCAN | --- No Data --- | |
| 12/15/1967 | --- | ASHCAN | --- No Data --- | |
| 12/16/1967 | --- | ASHCAN | --- No Data --- | |
| 12/20/1967 | --- | ASHCAN | --- No Data --- | |
| 2/29/1968 | 4:15 EAT | --- | X-RAY OBSERVATORY | --- No Data --- |
| 3/21/1968 | --- | ASHCAN | --- No Data --- | |
| 3/26/1968 | --- | ASHCAN | --- No Data --- | |
| 3/28/1968 | --- | ASHCAN | --- No Data --- | |
| 4/23/1968 | 12:25 utc | 10 h 30 m | GAMMA RAY DETECTOR | --- No Data --- |
| 5/6/1968 | 6:30 utc | 8 h 50 m | GAMMA RAY DETECTOR | 200 miles from Mildura, Victoria, Australia |
| 6/13/1968 | --- | ASHCAN | --- No Data --- | |
| 7/10/1968 | --- | ASHCAN | --- No Data --- | |
| 7/15/1968 | --- | ASHCAN | --- No Data --- | |
| 7/18/1968 | --- | ASHCAN | --- No Data --- | |
| 9/10/1968 | --- | ASHCAN | --- No Data --- | |
| 9/13/1968 | --- | ASHCAN | --- No Data --- | |
| 10/4/1968 | --- | ASHCAN | --- No Data --- | |
| 10/8/1968 | --- | ASHCAN | --- No Data --- | |
| 10/14/1968 | --- | ASHCAN | --- No Data --- | |
| 11/11/1968 | --- | ASHCAN + CAMERA | --- No Data --- | |
| 11/29/1968 | --- | ASHCAN | --- No Data --- | |
| 12/6/1968 | --- | ASHCAN | --- No Data --- | |
| 12/7/1968 | --- | ASHCAN | --- No Data --- | |
| 12/11/1968 | --- | ASHCAN | --- No Data --- | |
| 3/5/1969 | --- | ASHCAN | --- No Data --- | |
| 3/6/1969 | --- | ASHCAN | --- No Data --- | |
| 3/13/1969 | --- | ASHCAN | --- No Data --- | |
| 3/14/1969 | --- | ASHCAN | --- No Data --- | |
| 3/19/1969 | --- | ASHCAN | --- No Data --- | |
| 3/20/1969 | --- | X-RAY TELESCOPE | --- No Data --- | |
| 3/26/1969 | --- | ASHCAN | --- No Data --- | |
| 4/16/1969 | F 16 h | X-RAY TELESCOPE | Lost on the Tasmanian Sea. Apperared nine months later on a beach in New Zealand. | |
| 4/27/1969 | --- | X-RAY DETECTORS | --- No Data --- | |
| 6/24/1969 | --- | ASHCAN | --- No Data --- | |
| 6/26/1969 | --- | ASHCAN | --- No Data --- | |
| 7/8/1969 | --- | ASHCAN | --- No Data --- | |
| 7/10/1969 | --- | ASHCAN | --- No Data --- | |
| 8/25/1969 | --- | X-RAY DETECTOR | --- No Data --- | |
| 8/29/1969 | --- | ASHCAN | --- No Data --- | |
| 9/5/1969 | --- | ASHCAN | --- No Data --- | |
| 9/9/1969 | --- | ASHCAN | --- No Data --- | |
| 9/26/1969 | --- | ASHCAN | --- No Data --- | |
| 10/23/1969 | F 6 h | GAMMA RAY TELESCOPE | --- No Data --- | |
| 11/16/1969 | 30 h | PAYLOAD UNKNOWN | --- No Data --- | |
| 11/26/1969 | --- | PAYLOAD UNKNOWN | --- No Data --- | |
| 12/4/1969 | 9 h | PAYLOAD UNKNOWN | --- No Data --- | |
| 1/22/1970 | --- | ASHCAN + RADIOMETERS | --- No Data --- | |
| 1/28/1970 | --- | ASHCAN | --- No Data --- | |
| 1/29/1970 | --- | ASHCAN + RADIOMETERS | --- No Data --- | |
| 2/6/1970 | --- | ASHCAN | --- No Data --- | |
| 2/21/1970 | --- | ASHCAN + RADIOMETERS | --- No Data --- | |
| 2/26/1970 | --- | ASHCAN | --- No Data --- | |
| 2/27/1970 | --- | ASHCAN | --- No Data --- | |
| 3/9/1970 | --- | ASHCAN | --- No Data --- | |
| 3/11/1970 | --- | ASHCAN | --- No Data --- | |
| 3/13/1970 | --- | ASHCAN | --- No Data --- | |
| 3/25/1970 | 13:52 utc | F 11 h 20 m | GAMMA RAY TELESCOPE | --- No Data --- |
| 6/8/1970 | --- | ASHCAN | --- No Data --- | |
| 6/9/1970 | --- | ASHCAN | --- No Data --- | |
| 6/23/1970 | --- | ASHCAN | --- No Data --- | |
| 7/2/1970 | --- | ASHCAN | --- No Data --- | |
| 7/7/1970 | --- | ASHCAN | --- No Data --- | |
| 9/16/1970 | --- | ASHCAN | Balloon Failure | |
| 9/17/1970 | --- | ASHCAN | --- No Data --- | |
| 9/18/1970 | --- | ASHCAN | --- No Data --- | |
| 9/29/1970 | --- | ASHCAN | --- No Data --- | |
| 10/2/1970 | --- | ASHCAN | Balloon failure | |
| 10/15/1970 | 10 h | X-RAY DETECTOR | --- No Data --- | |
| 11/7/1970 | ~ 1 h | X-RAY DETECTOR | Balloon failure at 40.000 ft | |
| 11/21/1970 | PAYLOAD UNKNOWN | Ground abort | ||
| 11/22/1970 | 13 h | PAYLOAD UNKNOWN | --- No Data --- | |
| 12/8/1970 | 11 h 25 m | PAYLOAD UNKNOWN | --- No Data --- | |
| 12/12/1970 | --- | ASHCAN | --- No Data --- | |
| 12/13/1970 | --- | ASHCAN | --- No Data --- | |
| 12/15/1970 | --- | ASHCAN | --- No Data --- | |
| 12/19/1970 | --- | X-RAY STUDIES | --- No Data --- | |
| 3/11/1971 | --- | ASHCAN | --- No Data --- | |
| 3/17/1971 | --- | ASHCAN | --- No Data --- | |
| 3/18/1971 | --- | ASHCAN | --- No Data --- | |
| 3/23/1971 | --- | ASHCAN | --- No Data --- | |
| 3/24/1971 | --- | ASHCAN | --- No Data --- | |
| 4/2/1971 | --- | ASHCAN | --- No Data --- | |
| 4/5/1971 | --- | ASHCAN | --- No Data --- | |
| 6/9/1971 | --- | ASHCAN | --- No Data --- | |
| 6/10/1971 | --- | ASHCAN | --- No Data --- | |
| 6/16/1971 | --- | ASHCAN | --- No Data --- | |
| 6/25/1971 | --- | ASHCAN | --- No Data --- | |
| 10/5/1971 | --- | ASHCAN | --- No Data --- | |
| 10/12/1971 | --- | ASHCAN | --- No Data --- | |
| 10/13/1971 | --- | ASHCAN | --- No Data --- | |
| 1/14/1972 | 4 h 20 m | ASHCAN + HIGH ALTITUDE DUST LAYERS PHOTOGRAPHY | --- No Data --- | |
| 1/15/1972 | 5 h 50 m | ASHCAN + HIGH ALTITUDE DUST LAYERS PHOTOGRAPHY | --- No Data --- | |
| 1/17/1972 | 5 h | ASHCAN | --- No Data --- | |
| 5/3/1972 | 7 h | ASHCAN + HIGH ALTITUDE DUST LAYERS PHOTOGRAPHY | --- No Data --- | |
| 5/5/1972 | ~7 h | ASHCAN + HIGH ALTITUDE DUST LAYERS PHOTOGRAPHY | --- No Data --- | |
| 5/9/1972 | ~6 h | ASHCAN + HIGH ALTITUDE DUST LAYERS PHOTOGRAPHY | --- No Data --- | |
| 5/11/1972 | 5 h 30 m | ASHCAN + HIGH ALTITUDE DUST LAYERS PHOTOGRAPHY | --- No Data --- | |
| 6/5/1972 | 6 h 10 m | ASHCAN | --- No Data --- | |
| 6/6/1972 | --- | ASHCAN | --- No Data --- | |
| 7/26/1972 | 4 h 30 m | ASHCAN + HIGH ALTITUDE DUST LAYERS PHOTOGRAPHY | --- No Data --- | |
| 7/28/1972 | 6 h 30 m | ASHCAN + HIGH ALTITUDE DUST LAYERS PHOTOGRAPHY | --- No Data --- | |
| 8/8/1972 | 6 h 30 m | ASHCAN + HIGH ALTITUDE DUST LAYERS PHOTOGRAPHY | --- No Data --- | |
| 8/17/1972 | 6h 30m | ASHCAN | --- No Data --- | |
| 8/24/1972 | 3 h 30 m | ACOUSTIC ECHO SOUNDER (RADAR) | --- No Data --- | |
| 10/13/1972 | 2 h 15 m | AEROSOL COUNTER | --- No Data --- | |
| 10/14/1972 | 6h | ASHCAN | --- NO DATA --- | |
| 10/18/1972 | 6h 30m | ASHCAN | --- No Data --- | |
| 10/19/1972 | 4h 45m | ASHCAN | --- No Data --- | |
| 1/16/1973 | --- | ASHCAN | --- No Data --- | |
| 1/17/1973 | --- | ASHCAN | --- No Data --- | |
| 1/23/1973 | --- | ASHCAN | --- No Data --- | |
| 3/5/1973 | --- | AEROSOL COUNTER | --- No Data --- | |
| 4/3/1973 | --- | ASHCAN | --- No Data --- | |
| 4/4/1973 | --- | ASHCAN | --- No Data --- | |
| 4/6/1973 | --- | ASHCAN | --- No Data --- | |
| 4/10/1973 | --- | ASHCAN | --- No Data --- | |
| 4/12/1973 | --- | ASHCAN | --- No Data --- | |
| 8/21/1973 | --- | ASHCAN + RADIOMETER | --- No Data --- | |
| 8/24/1973 | --- | ASHCAN | --- No Data --- | |
| 9/6/1973 | --- | ASHCAN | --- No Data --- | |
| 9/15/1973 | --- | AEROSOL COUNTER | --- No Data --- | |
| 10/8/1973 | --- | ASHCAN + RADIOMETER | --- No Data --- | |
| 10/12/1973 | --- | ASHCAN + RADIOMETER | --- No Data --- | |
| 10/17/1973 | --- | ASHCAN + RADIOMETER + AEROSOLS | --- No Data --- | |
| 1/22/1974 | --- | ASHCAN | --- No Data --- | |
| 2/4/1974 | --- | RADIOMETER | --- No Data --- | |
| 2/5/1974 | --- | ASHCAN | --- No Data --- | |
| 9/25/1974 | --- | JET IMPACTOR SAMPLER | --- No Data --- | |
| 11/29/1974 | --- | JET IMPACTOR SAMPLER | --- No Data --- | |
| 12/3/1974 | --- | JET IMPACTOR SAMPLER | --- No Data --- | |
| 2/5/1975 | --- | RADIOMETER | --- No Data --- | |
| 2/7/1975 | --- | JET IMPACTOR SAMPLER | --- No Data --- | |
| 2/10/1975 | --- | JET IMPACTOR SAMPLER | --- No Data --- | |
| 3/4/1975 | --- | JET IMPACTOR SAMPLER | --- No Data --- | |
| 4/2/1975 | --- | JET IMPACTOR SAMPLER | --- No Data --- | |
| 4/3/1975 | --- | AEROSOL COUNTER | --- No Data --- | |
| 5/2/1975 | --- | JET IMPACTOR SAMPLER | --- No Data --- | |
| 5/27/1975 | --- | RADIOMETER | --- No Data --- | |
| 5/28/1975 | --- | JET IMPACTOR SAMPLER | --- No Data --- | |
| 5/30/1975 | --- | JET IMPACTOR SAMPLER + RADIOMETER | --- No Data --- | |
| 8/5/1975 | --- | JET IMPACTOR SAMPLER | --- No Data --- | |
| 9/24/1975 | --- | JET IMPACTOR SAMPLER | --- No Data --- | |
| 9/26/1975 | --- | AEROSOL COUNTER + RADIOMETER | --- No Data --- | |
| 12/10/1975 | --- | RADIOMETER | --- No Data --- | |
| 12/12/1975 | --- | AEROSOL COUNTER | --- No Data --- | |
| 1/28/1976 | --- | RADIOMETER | --- No Data --- | |
| 1/29/1976 | --- | AEROSOL COUNTER | --- No Data --- | |
| 5/26/1976 | --- | AEROSOL COUNTER | --- No Data --- | |
| 6/2/1976 | --- | RADIOMETER | --- No Data --- | |
| 9/9/1976 | --- | AEROSOL COUNTER | --- No Data --- | |
| 9/14/1976 | --- | RADIOMETER | --- No Data --- | |
| 11/11/1976 | 19:25 utc | 3 h 15 m | AEROSOL COUNTER + RADIOMETER | --- No Data --- |
| 1/25/1977 | --- | RADIOMETER | --- No Data --- | |
| 2/4/1977 | --- | AEROSOL COUNTER | --- No Data --- | |
| 5/12/1977 | --- | RADIOMETER | --- No Data --- | |
| 7/14/1977 | --- | AEROSOL COUNTER | --- No Data --- | |
| 8/2/1977 | --- | AEROSOL COUNTER | --- No Data --- | |
| 9/6/1977 | --- | RADIOMETER | --- No Data --- | |
| 12/11/1977 | 19:57 utc | 2 h 48 m | NO2 MEASUREMENTS | --- No Data --- |
| 12/13/1977 | 19:59 utc | 4 h 26 m | NO2 MEASUREMENTS | --- No Data --- |
| 12/16/1977 | --- | AEROSOL COUNTER | --- No Data --- | |
| 2/13/1978 | --- | AEROSOL COUNTER | --- No Data --- | |
| 4/24/1978 | --- | INFRARED TELESCOPE | --- No Data --- | |
| 5/31/1978 | --- | RADIOMETER | --- No Data --- | |
| 8/28/1978 | --- | RADIOMETER | --- No Data --- | |
| 9/28/1978 | --- | AEROSOL COUNTER | --- No Data --- | |
| 11/23/1978 | --- | AEROSOL COUNTER | --- No Data --- | |
| 1/16/1979 | 1h 58m | PAYLOAD UNKNOWN | --- No Data --- | |
| 5/9/1979 | 21:23 utc | 4 h 5 m | RADIOMETER | --- No Data --- |
| 5/15/1979 | 17:44 utc | 5 h 30 m | MEASUREMENTS OF NO, HNO3 AND OZONE | --- No Data --- |
| 5/17/1979 | 22:00 utc | 2 h 5 m | RADIOMETER | --- No Data --- |
| 5/30/1979 | 3h | PAYLOAD UNKNOWN | --- No Data --- | |
| 6/1/1979 | 1h 40m | PAYLOAD UNKNOWN | --- No Data --- | |
| 6/4/1979 | 1h 50m | PAYLOAD UNKNOWN | --- No Data --- | |
| 8/14/1979 | --- | AEROSOL COUNTER | --- No Data --- | |
| 9/9/1979 | 14 h 30 m | PAYLOAD UNKNOWN | --- No Data --- | |
| 9/14/1979 | 2h 15m | PAYLOAD UNKNOWN | --- No Data --- | |
| 9/18/1979 | 5 h | PAYLOAD UNKNOWN | --- No Data --- | |
| 9/18/1979 | 20:56 utc | 3 h 10 m | RADIOMETER | --- No Data --- |
| 10/13/1979 | 21:09 utc | 2 h | RADIOMETER | --- No Data --- |
| 10/15/1979 | 17:19 utc | 5 h | AEROSOL COUNTER | --- No Data --- |
| 10/25/1979 | 5:06 utc | ~ 6 h | PAYLOAD UNKNOWN | --- No Data --- |
| 2/14/1980 | 2 h 15 m | PAYLOAD UNKNOWN | --- No Data --- | |
| 3/28/1980 | 11 h | PAYLOAD UNKNOWN | --- No Data --- | |
| 4/2/1980 | 11h | --- NO DATA --- | --- No Data --- | |
| 4/13/1980 | 7:02 utc | 14h 15m | INFRARED TELESCOPE | --- No Data --- |
| 7/3/1980 | 2 h 10 m | PAYLOAD UNKNOWN | --- No Data --- | |
| 8/4/1980 | 10 h | PAYLOAD UNKNOWN | --- No Data --- | |
| 8/14/1980 | 2 h 15 m | PAYLOAD UNKNOWN | --- No Data --- | |
| 8/18/1980 | 2 h 10 m | PAYLOAD UNKNOWN | --- No Data --- | |
| 8/29/1980 | 5 h 25 m | PAYLOAD UNKNOWN | --- No Data --- | |
| 9/16/1980 | 2 h 15 m | PAYLOAD UNKNOWN | --- No Data --- |
If you consider this website interesting or useful, you can help me to keep it up and running with a small donation to cover the operational costs. Just the equivalent of the price of a cup of coffee helps a lot.